私の標本箱から (09)
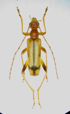
マツシタヒメハナカミキリ(Pidonia matsushitai)♂ 長野県木曽郡大滝村御岳 alt.1,850m 20. ⅶ. 2017 ヤマブキショウマ花上写真左個体は、よく見慣れたごく普通のマツシタヒメハナ♂で、どの産地においても基本的に頭部~前胸背は赤黄褐色で安定した色調をしている。
ところが、今回のテーマである写真右個体、実は左個体と同日・同場所で遭遇した♂個体で、頭部や前胸背、更には後脛節からアンテナに至るまで黒化した、一見全くの別モノを伺わせる非常に紛らわしい個体である。現地でこれと遭遇した時には正直一瞬頭の中が混乱してしまったものの、消去法を用いながら頭の中を整理していく中で、結局のところ行きつく先は本種しかなかった、というのが実情であった。
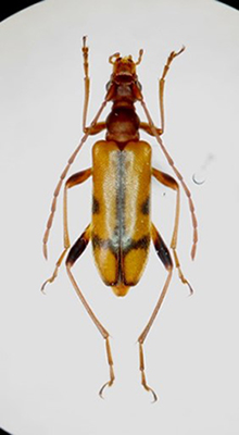
一方♀に関しては、長野県安房峠で遭遇した個体の中によく似た傾向を持つ個体を見出すことができたが、この♀個体は上記♂個体と比べると黒化の程度は弱く、頭部、後脛節はごく普通の赤黄褐色を呈するほか、アンテナも黒化傾向は強いものの全体にまだら模様風に見える等、要は前胸背の色彩のみがきれいに黒化した個体と言えそうだ。
※写真右:前胸背黒化型♀ 長野県松本市安房峠産、写真左:標準タイプ 群馬県四阿山産)
一般的にマツシタヒメハナは、産地においてはごく普通に見られる優先種との認識が強く、私の採集品の中にも多数の本種を見出すことができるが、今回ご紹介したような黒化タイプは♂♀共にそれぞれこの一頭のみであったことを鑑みると、その出現率は決して高くはないように思われる。
