私の標本箱から (08)
オオバヤシヒメハナカミキリ(Pidonia limbaticollis ohbayashii)♂ 長野県上伊那郡宮田町木曽駒ヶ岳 alt.1,900m 21. ⅶ. 2017 ヤマブキショウマ花上写真上左は、ごく普通のよく見慣れたオオバヤシヒメハナの♂で、上翅は肩の部分が最も幅広く、翅端に向ってゆるやかに狭まっていくスマートな体型をしている。
一方、写真上右の個体も同日・同場所における同種の♀個体で、♂と比べ短太で下膨れの体型をした、これもごく普通の♀個体である。
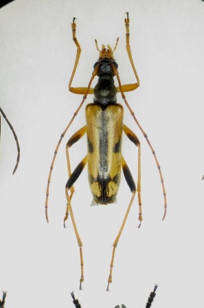
さて、最後の個体をご覧いただきたい。上記2個体と同日・同場所で遭遇した本個体、明らかに♂でありながら、上翅の形状はいかにも♀を思わせる短太・下膨れの体型をしており、フィールドで出逢った瞬間すぐにそれと分かるほどの実に奇異な印象を与える個体である。
ちなみに、当日は他にも多くの本種に巡り逢えたのだが、むろんこのような体型をした個体はこの個体一頭きりであった。
果たして、虫の世界にも人間と同じような輩が登場し始めているのだろうか・・・???
