私の標本箱から (06)
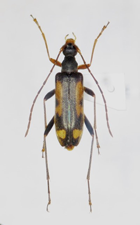
シラネヒメハナカミキリ(Pidonia obscurior obscurior?)♀ 栃木県那須郡那須町茶臼岳峠の茶屋 alt.1,460m 12. ⅶ. 2013 ヤマブキショウマ花上写真左は上記データによる那須山塊産で、実は少し変わった個体となっている。半観半虫で訪れた当日、私自身彼らを観察しながら、どうにも腑に落ちない変な感覚を持ちつつ現地を後にしたのだが、帰宅後よくよく調べてみると、どうやらここのシラネヒメハナ♀については、脚の色が脱色(黄褐色化)する傾向が強いことに気付いた。
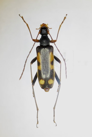
基本的にシラネヒメハナは、どこの産地においても♀の脚はほぼ真っ黒としたもので(写真右:奥日光産)、それは白山山塊から三国山脈界隈にかけて広い分布圏を持つ、いわゆるハクサンヒメハナP. obscurior hakusanaにおいても全く同様のことである。然るに、何故かここのは赤い!これが現地で何とも言いようのない消化不良感を抱いた原因であったのだ。
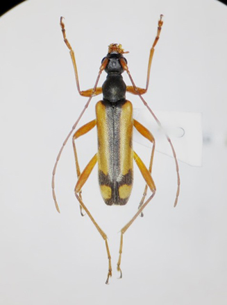
下の写真は、同日同場所で獲られたホソガタヒメハナP.semiobscuraの♀で、こちらは普通に脚が黒かったため、余計に現地での混乱をきたす原因となってしまった。
ちなみに最後の写真は、その那須山塊産の♂である。日光山塊の原亜種と比べると、小楯板に向けてのS紋の拡がりは多少弱いものの、それでもシラネヒメハナの基本形を大きく外すことはないように思える。
シラネヒメハナの脚の色彩については、一般的には♂について語られることが多く、それが今日の両亜種の区別点になっていたりする点を踏まえても、このシラネヒメハナ種群、まだまだ奥が深そうである・・・。
