私の標本箱から (05)
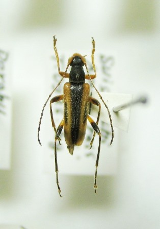
セスジヒメハナカミキリ(Pidonia amentata)♂ 静岡県田方郡天城湯ヶ島町水生池!? 9. ⅴ. 1981
2008年夏、実家に帰省していた際に、ピドニア箱を眺めていてギョ!っとしてしまった。あろうことか、伊豆天城山系のラベルが付いた「ただのセスジヒメハナ」があるではないか!そんな馬鹿な!とは思ったものの、それ以上考えても何も解は見えてこないので、ひとまずこの時は写真だけ撮って、この事実を自分の胸の奥底に隠蔽してしまった。
時が流れ、ある年のピドニア懇談会席上、話題のひとつとして敢えてこの写真を公表した。何か知見があれば知りたい!そんな願望からであったのだが、むろんこれについて説明していただける人はいなかったし、実は僕もあそこでセスジ採ってるんだ!なんて夢のような情報を下さる方も登場することはなかった(当たり前だが・・・)。
そしてつい過日のこと、鋭意大昔の四角紙の中から標本にすべき個体を発掘しつつマウント作業を進めていた私の眼前に、セスジヒメハナが2♂並んだ大きな四角紙が出てきた。表には紛れもない私の字で「1981年5月9日 天城山水生池」と書かれている。そして、開かれた四角紙をよ〜く眺めてみると、内側の右隅にやはり私の小さな字で、「ピドニア 5月23日 土呂部」と書かれていたのだ。
「!」
解明!!これだ!!!
永年の胸のつかえが取れた瞬間であった。
答えはこうである。この大きな四角紙は5月9日の天城山水生池のもの。ところが、同月23日に出掛けた栃木県栗山村土呂部で採ったセスジヒメハナを、何故かこの四角紙の右下隅に3♂並べていたのである。今となっては理由は判然としないが、恐らくは土呂部の四角紙の中に収まり切らなかったピドニア3頭だけが、ここに間借りしていたのであろう・・・。
慌てて読み返した採集日記で、23日土呂部でセスジヒメハナ3♂採集の事実を確認し、先の幻の一頭がまさしくここに並んでいた3頭の内の1頭であったことが判明したような次第。むろんすぐに件の標本ラベルを本来の土呂部名義に差し替えたのは言うまでもない。
マウント作業を進める為の大昔の四角紙発掘作業の行程で、思わぬ解が得られたことは、個人的にもとても喜ばしいことであった。たったひとつのケアレスミスから発した今回のラベル問題、将来に怪しげな標本を残さないためにも、改めて注意しながら標本作成作業を進めようと心に誓った一件となった。
