私の標本箱から (41)
ピドニア図説(窪木幹夫(2024)日本のヒメハナカミキリ、むし社)の図版に使用された標本この夏、晴れて表記「ピドニア図説」が発刊となった。窪木氏の積年にわたる研究成果の集大成であり、ピドニア愛好家待望の書である一方、こうした専門特化した分野の研究成果を一つの図説として出版し得る「むし社」の存在(存在価値・存在意義)も忘れてはならないだろう。「月刊むし」誌の定期購読料が、虫屋界における「納税」と言われる所以である。
当サイト「ピドニアものがたり」は、ピドニア懇談会絡みの報告に主眼に置きつつも、サイトオーナーのピドニア採集歴や、所持する標本をご紹介するコーナーで構成されているが、今般の「ピドニア図説」には、当サイトにてこれまでにご紹介済みの幾つかの標本も掲載されたことで、今回は「私の標本箱から 特別編」としてそれらを再録させていただくことで、改めて図説掲載の特異標本をご確認・ご堪能いただければ幸いである。
まずは「私の標本箱」から。
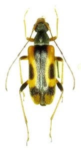
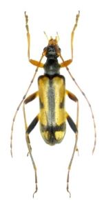
07:オオヒメハナ(木曽駒ケ岳産;上翅S紋を完全に欠く本州中部産♂個体)
08:オオバヤシヒメハナ(木曽駒ケ岳産;♂でありながら♀のような体型をした特異な個体)
09:マツシタヒメハナ(御岳産;前胸背とアンテナが黒化した、一見別種に見える♂個体)
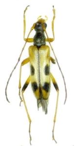
10:ホソガタヒメハナ(御嶽産;前胸背が明瞭な赤色の特異な♀個体)
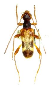
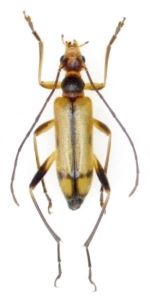
11:フタオビノミハナ(奥日光光徳産;上翅基半部の黒褐色部が赤褐色化した♂個体)
12:ヨコモンヒメハナ(浅草岳産;日本海側の分布北限を大幅に伸張した貴重な♂個体)
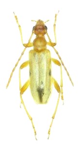
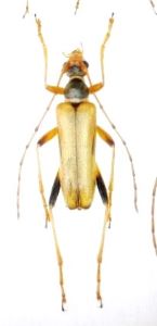
16:ニセフタオビノミハナ(谷川岳山系蓬峠産;身体全体が赤褐色を帯びる♂個体)
29:ヤマトヒメハナ(安倍峠産;本文では九州産との比較で掲示、分布東限産地産♀個体)
続いて「ピドニア採りある記」から。
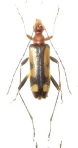
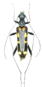
03:長野県軽井沢町矢ケ崎山;トサヒメハナ♀個体(1980年採集の分布北限域♀個体)
10:長野県宮田村木曽駒ケ岳;上記07オオヒメハナと08オオバヤシヒメハナを紹介
21:山形県東根市柳沢林道;キタセスジヒメハナの南限伸長記録(月刊むし誌に報告済)
27:長野県飯山市伏野峠;関田山塊からも確認されたハクバヒメハナ
33:長野県栄村苗場山;「採りある記」当日に採集されたクロヨコモンヒメハナの♂個体
以上、ざっと拝見しても当サイトにご案内済みのこれだけの標本を掲載いただいた。まだ見落としがあるかもしれないが、ともあれこうした特異な個体や、分布域端部(北限や南限等)の調査は大変面白く、今後も機会を見ては辺境の地を歩いてみたいと思っているような次第。
