私の標本箱から (40)
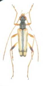
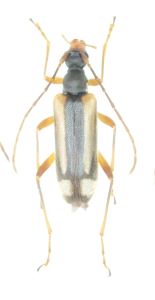
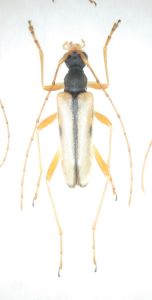
トウホクヒメハナカミキリ(Pidonia michinokuensis)♀♂ 岩手県雫石町網張温泉 alt.730-1000m 13.ⅵ.2024(左・中);右は♀別産地標本 秋田県仙北市秋田駒ヶ岳 alt.800-900m 11.ⅵ.2024ご参考:私の標本箱(36)に掲載した本種の写真 トウホクヒメハナカミキリ(Pidonia michinokuensis)♀♀♂ 福島県喜多方市山都町一ノ木 22.ⅵ.2023(写真左・中・右共に)
特異とした個体 標準型とした個体
過日「私の標本箱から(36)」でトウホクヒメハナ♀個体の斑紋退化例をご紹介した。ところが…である。本年(2024年)6月、初めてピドニア好季の北東北(岩手~秋田)を行脚したところ、(36)の記載に反する事実が判明してしまった。私の東北地方におけるこれまでの経験が南に偏っていた所為か、北では南とは異なる常識がまかり通っていることを知らされる羽目に。そこで、今回は舌の根も乾かぬ内の「前言撤回」と相なったような次第(汗)。
前回(36)では、♀斑紋の肩の部分のノースリーブ状態が珍しいとしたのだが、今般岩手~秋田県内で調査をしていると、そんな個体はごくごく当たり前であって、むしろこの界隈では紋が肩を覆う例はほぼ無いことが判明した。ところ変われば・・・ではあるものの、本種の分布域全体を通して見ると、北から南に徐々に基本型が変化していることが読み取れた(北ほど退色が進む傾向)。前回の写真中個体、まるで奥日光産シラネヒメハナ風の個体など、南の中でもかなり黒化の進んだ、全体を通して見た場合には、むしろこちらの方が特異な個体と言っても過言ではないことさえ判明したのだ。
かくして、前言撤回も甚だしいが、気がついた時点で隠し立てすることなくおおっぴらにご披露することで、今回の内容訂正をご容赦いただきたいと思う。
