私の標本箱から (39)
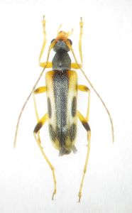
左:コトヒメハナPidonia lyra ♂ 山梨県大月市真木林道 alt.1,200m 29.ⅴ. 2021ミヤママタタビ花上ちなみに右個体は、同日・同所のalt.1,150mで遭遇したトサヒメハナPidonia approximata ♂
2021年秋発売の月刊むし誌カミキリ特集号に「ピドニア道への誘い」を載せていただいたが、その中の「あるロートルピドニアンの愉しみ方」でご紹介したトサヒメハナとコトヒメハナの分布接点調査の地が、実はここ。20年以上前からこの地での調査を繰り返し行ってきて、やっと近接した地点で両種を確認できたのが2021年のことで、思わず記事内容にそのことを書かせていただいた。
トサヒメハナが採れたカマツカ
嘗てこの林道は大峠から先の小金沢林道まで通り抜けができていたのだそうで、その小金沢林道側ではすでに1980年代にはコトヒメハナが記録されていて、当然峠手前の真木林道側でもコトヒメハナが採れるものと思い込んでいたところ、最初の調査行で採れてしまったのは、意外やトサヒメハナの方。ありゃ~!?この一件がきっかけとなり、この地における彼らとの永いお付き合いが続くことに・・・。
この両種、関東山地界隈では非常に混み入った分布をしていて、より広域に分布域を持つトサヒメハナと、より狭い範囲に限られるコトヒメハナのせめぎ合いが実に興味をそそられるが、実は両種の混棲地が関東山地内に三か所あって、もしやこの地が四か所目になりはしないか!?いや、是非そうあって欲しい!という私的願望が、私を繰り返しの調査採集に駆り立てた原動力となったのであった。
かくして2021年の初夏、標高1,200m地点で2頭のコトヒメハナを確認、更に翌年には同じポイントでトサヒメハナに遭遇したことで、やっと両種の同所棲息を確認でき、積年のテーマも一件落着、ひと息入れることが出来たような次第。
