私の標本箱から (37)
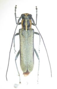
ジュウモンジニセリンゴカミキリ(Eumecocera minamii)♀ 徳島県西祖谷山村大歩危 26.ⅳ.1971(写真中は九州黒岳産セミスジニセリンゴ♀、写真右は大阪下止々呂美産ジュウモンジニセリンゴ♂)
この四国初記録の採集からすでに半世紀以上が経つのに、未だ2頭目が確認されない実に不思議な種。
ご承知の通り九州黒岳産の標本で新種記載され、当初は九州特産と思い込んでいたものの、ある日月刊むし誌に中国地方でも採れたとの報文が出て、九州以外にも産することを初めて知ることとなる。
この標本、実は私が中学生時代に郷里の高知市から遠足で出かけた大歩危(おおぼけ)峡で偶然採集したもので、大歩危駅から河原への下降地点まで国道32号線を歩いていた際、偶然にも道路沿いの民家の壁に止まっていた個体である。当時まだカミキリ愛好初心者であった私は、それを瞬時には同定できず、帰宅後カミキリ生態図鑑を紐解き、どうやらその色彩からコジマベニスジらしいと一旦は理解したものの、その後前胸背中央を走る縦紋様から同定誤りと判断、セミスジニセリンゴへと居場所を移していたのであった。
ある年、帰省時にふとこの標本を眺めていて???となり、持ち帰って故・高桑正敏氏に見ていただいたところ、やはり私の???が的中し、ジュウモンジニセリンゴとの回答をいただいた。早速地元同好会誌に四国初記録として報告したものの(1989)、この時は標本写真の掲載が無かったことと、その後もなかなか2頭目が発見されなかったことを受け、かなりの時を経て改めて月刊むし誌にカラー写真付きで再録させていただき(2000)、四国内外同好諸氏への注意喚起を図ったものの、結果は先述の通り未だ2頭目発見の報に接することができていない。
ご承知の通りこの類はそれほど珍しいグループではないし、中国地方ではその後多数が発見されているほか、近畿地方はもちろんのこと、中部地方南部に至るまでの分布の拡がりが確認されている中で、何故に四国では僅かにこの一例だけで後が続かないのか、実に摩訶不思議な実態不明種と言えそうだ。
