私の標本箱から (36)
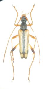
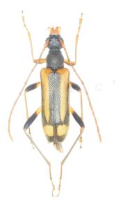
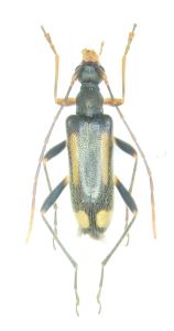
トウホクヒメハナカミキリ(Pidonia michinokuensis)♀♀♂ 福島県喜多方市山都町一ノ木 22.ⅵ.2023(写真左・中・右共に)前回のシラネヒメハナに引き続き、今回はトウホクヒメハナにおける斑紋退化例をご紹介したい。
トウホクヒメハナは概ね福島県以北の東北地方全域の中高山帯に産する種で、一見同じく本州全域の中山帯に広く分布するナガバヒメハナによく似ており、中でも♂は外見上の区別が難しい場合もあり、注意を要する。
一般的に♂個体は、多少の斑紋変異(北ほど退化傾向が強い)がある程度で、どの産地においても概ね(写真右)の如く一見ナガバヒメハナ風の余り面白味のない風体をしているが、ナガバヒメハナとは前胸背の膨らみや喉部分の色彩等で区別が可能。
一方♀個体の方は、シラネヒメハナほどではないものの多少は個体変異・地域変異が見られ、分布域の西南部一帯ではアンテナの先端部が白化する個体群が見られたりする(写真中)。
さて、今回ご紹介の個体は、そんな中にあって上翅斑紋がかなり退化した個体(写真左)で、同日同所で得られた通常個体(写真中)と比べても、その斑紋退化具合は一目瞭然。通常の個体(写真中)は会合紋が上端まで延びて基縁紋、肩紋、側紋と連結し、肩を大きく黒く覆うが、この個体は会合紋が小楯板手前で消失し、側紋も肩に届かずで、完全ノースリーブ(タンクトップ?)状態となっている。
本種は東北地方のピドニアでは最優占種のひとつであるが、ここまでの斑紋退化個体にお目にかかることは稀で、発現頻度はかなり低いのではないだろうか。
