私の標本箱から (34)
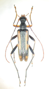
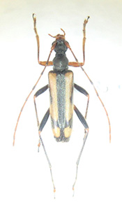
ハクサンヒメハナカミキリ(Pidonia obscurior hakusana)♂ 長野県大町市扇沢 10.ⅶ.2023(写真1)※ハクサンヒメハナカミキリ(P. obscurior hakusana)♂ 同上 10.ⅶ.2023(写真2)
※ハクサンヒメハナカミキリ(P. obscurior hakusana)♀ 同上 21.ⅶ.2002(写真3)
私の標本箱から(23)シラネヒメハナカミキリ(Pidonia obscurior)でもご紹介した、シラネヒメハナ種群における♂個体の♀型斑紋例その2。今回は前回とは別の亜種に相当するので、敢えて使用頻度(認知度)の高い亜種和名の「ハクサンヒメハナ」を使用させていただいた。
今回の個体(写真1)は、ネットを覗き込んだ瞬間シナノヒメハナが入ったのではないか!?と驚かされた個体で、BB紋がS紋・Lb紋と太く連結し大きく肩部を覆うほか、 Lp紋が異様に太く、結果的に側紋と会合紋に挟まれた黄褐色部がかなり狭くなった個体である。その斑紋パターンは同種の♀(写真3)によく似ており、同地における一般的な♂個体(写真2)とはかなり様子が異なる(写真で見るよりも実際はより異様感が漂っている)。
前回の例も踏まえ、手許標本にはこうした例が2,3あるにはあるものの、とは言え出現頻度はかなり少ないものと思われる。
