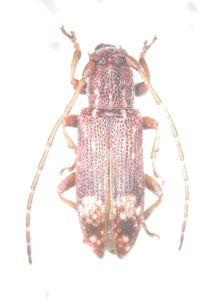
私の標本箱から (32)
カズラアトモンチビカミキリ(Sybra nishinoi)♂ 沖縄本島与那覇岳 21.ⅴ.19762017年のある日、月刊むし561号を見て初めて本種の存在を知った。へぇ~、こんなヤツがいるんだ、と。私が南西諸島に足繁く通った1970年代後半の頃、この類はアトモンチビしか知られておらず、彼の地ではアトモン・アヤモン・タイワンの3種は、Sybra普通種御三家として広く認知されていた。それだけに、今回の発見は長い間見逃されてきた隠蔽種の代表例みたいなものだ。
多くの愛好家がもっぱら石垣島と奄美大島に通うのを横目に、私はこの両島の間にあってネキ・ハレギ・ベニボシ等、多くの欠落種を抱えていた沖縄本島に軸足を置いて調査していたが、その際アトモンチビには2型あるように思えたので、分けて標本箱に並べておいたところ、案の定後年翅端の丸い派手な斑紋の方がヤンバルアトモンチビとして分離された。
しかし、私が何か変だぞ!と勘ぐることの出来たのもここまで。表題種には一切気づかず、記事を見て慌てて標本箱を確認したところ、僅か2頭しかなかった沖縄本島産マウント標本の内の1頭が写真上の個体であった。何と、これまさにカズラアトモンチビではないか!ただ、その後数年分の四角紙を調べてみても、残された個体はアトモンとヤンバルばかりで(しかも、うかつにもほんの僅かしか採っていない!)、結局沖縄本島で私が採集していたカズラは、どうやらこの1頭きりらしいことが分かった。
ところが、この話には更なる続きがあった。1973年3月、初めて奄美大島を訪れた際、若干のテイカカズラ枯れ蔓を持ち帰り、後日ヨスジシラホシサビとアトモンチビが出てきてくれたのだが、当時の日記を紐解くと、どうやらアトモンチビは19頭羽化したことになっている(写真下参照:♀)。
何のことは無い。このテイカカズラから羽化してきた奄美大島産のアトモンチビ、実はこれらも今回の隠蔽種であることが判明!当時から随分きれいなピンク色をしているなぁ~とは思っていたものの、それはきっと羽化直後の新鮮個体だから・・・、などと当の私自身がアトモンチビと思い込んでいたものだから、要望あるたびに人さまに「奄美大島産アトモンチビ」として差し上げてしまい、結局19頭羽化していたにも拘らず、手許には僅か3頭しか残っていないことが判明、しばし唖然としてしまったような次第(あぁ、悲しや~)。
かくして、今を去ること半世紀も昔の1970年代、どうやら私は奄美でも沖縄本島でも、知らずしてカズラアトモンチビを採集していたことが判明した・・・あらら(苦笑)。
