私の標本箱から (30)
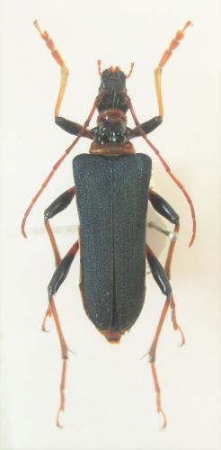
フタコブルリハナカミキリ(Japanocorus caeruleipennis)♀ 高知県工石山 alt.860m 1.ⅵ.1974
むし社の日本産カミキリ大図鑑(Ⅰ)で、第一著者の藤田氏により「国ハナカミキリ」に推挙された、どなたもがご存知の大型美麗ハナカミキリである。
写真は、私が初めて手にした記念すべき第一号のフタコブルリハナ。高校生時代、一泊の予定で授業を終えた土曜の午後に自宅を発ち(当時は土曜に半日授業があるのが当たり前の時代であった)、夕暮れ時にやっとのことで山小屋に到着。到着してすぐに小屋脇に咲くミズキを掬ったところ、ぼってりとした重量感たっぷりの本個体がネットの底に一頭だけ入っていた。自身初遭遇のフタコブルリハナだけに、そのボディサイズなどとは無関係に心の中は大絶叫状態であったが、以降必然的にこの個体の大きさと重量感が私にとっての本種の基準サイズとなってしまった。
ところが、それから半世紀を経る中で幾多の彼らに遭遇したにもかかわらず、実はこの大きさを凌ぐ個体には未だ遭遇できないでいる。事実我が家の標本箱に鎮座する150頭を超える本種の中で、この個体より大きな個体はない。つまり、このまま時が流れれば、最初に遭遇した一頭が人生最大の個体になってしまう可能性が大きそうだ、ということ。今般改めてその体長を測ってみると腹端まで29mmであったが、先のカミキリ大図鑑には、最大個体は28.5mmである旨が記されている。今回その一文を見て、思わず「むふふ・・・」とほくそ笑む私であった(笑)。
