私の標本箱から (03)
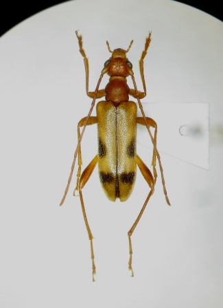
オヤマヒメハナカミキリ(Pidonia oyamae)♂ 長野県茅野市八ヶ岳夏沢鉱泉(alt.2,150m) 15. ⅶ. 2005 ナナカマド花上一般的にオヤマヒメハナの♂は下写真(長野県八千穂高原産)のような個体を見る機会がほとんどであるが、何故か八ヶ岳山塊の一角では高頻度で上写真のような体全体が暗化した個体に遭遇することが出来る。前胸背が黒々としているだけでなく、よく見ると身体全体にわたり暗色化の傾向が著しい。
natuzawa.jpg)
natuzawa.jpg)
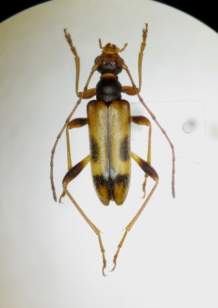
実は、下写真の通常個体も八ヶ岳山塊の一角で採集されたものであり、且つそこで見られた全ての個体がこれと同じ標準タイプであったことから、この暗色化個体が八ヶ岳山塊全体に普遍的に現れるのではないことが判る。
面白くも不思議な現象ではあるが、果たして暗色化DNAを有する個体群が、ここ八ヶ岳山塊のごく狭い一角で、代々その血筋を受け継いでいるのであろうか・・・!?
