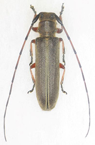
私の標本箱から (28)
キクスイモドキカミキリ九州亜種(Asaperda rufipes albosuturalis)♀ 宮崎県白岩山 4.ⅵ.2022前回に引き続き福岡県在住・Tさんの手によるもので、いただいた当初は「ゲッ!これはいったい何モノ!?」と思案に暮れた悩ましき個体である(写真左)。散々検討しても正体を把握することが出来ず、やむなくSNS上でご意見を求めたところ、図鑑著者の秋田氏から「九州産のキクスイモドキでは?」との解をいただいたのだが、さすがにそれはないだろう!といろいろ反論してみたところ、「まぁまぁそう言わずに、図鑑の発売を楽しみにお待ちください・・・笑」などと、意味深な言葉を掛けられていたのだが・・・、果たして結果はその通りとなったのであった。
晴れて発売された日本産カミキリムシ大図鑑(Ⅱ)によれば、この個体はまさしくキクスイモドキの九州エリア特産亜種との由。筆頭著者の藤田さんが「チャイロキクスイモドキ」と称した特異な一群らしく、この図鑑プレートを見るまでは、とてもこの個体がただのキクスイモドキとは思えなかったし信じたくもなかったのだが、あれだけ似たような個体やら中間型を見せられてしまうと、ただただウ~ンと唸るしかない、というのが正直なところである。
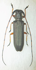
ちなみに右個体は、同じくTさんによる福岡県笠置山産の♀個体で、これなどは低山地産の如何にもキクスイモドキという顔つきをしている。山の上と下でこれだけ違いの生じる虫など、これまで見たこともないし、何よりこの両者が同じ種だなんて俄かには信じられないが、今回の図鑑を見せられた以上、今日のところはこれで納得しておくしかなさそう・・・だねぇ。
