私の標本箱から (25)
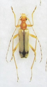
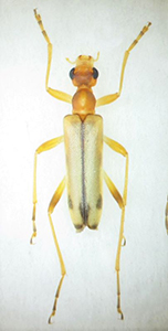
ミヤマヒメハナカミキリ(Pidonia sylvicola)♂ 山梨県鳴沢村青木ヶ原 alt.1,050m 17. ⅵ. 2022【ご参考】写真右:同日同所で採集した通常の♂個体

ミヤマヒメハナは中部山岳地域~紀伊半島のブナ帯上部から針葉樹林帯に棲息する、比較的高標高域に棲息圏を有するピドニアとして知られているが、ここの採集地標高は1,000mを僅かに超える程度で、本種としては恐らく最も低標高の棲息地と言えそうだ。
今回は、そのミヤマヒメハナの両アンテナ欠損個体。お恥ずかしながら採集した時点ではそれとは気づかず、展足の際にアンテナが両方とも付け根から欠損しているのに気がついたのだが、今思い起こしてみても何故こんな異常個体を採集時点で気づけなかったのか、我ながら実に???・・・である。
問題はその欠損の具合で、よく見られる他個体との闘争や鳥などのアタック被害であれば、幾ばくかはその名残が残りそうなものだが、この個体は改めて拡大してみても、アンテナが生えていた場所さえ不明なほどきれいに欠損している点が実に不思議で、もしかしたら発生時の異常(奇形)個体かも!?と思ったりもしたが、その事実を知る術がないのはちょっぴり残念・・・。
それにしても、アンテナが無いだけでこんなにイメージが違って見えるとは意外でした。日頃よりカッコイイなぁ~、素敵だなぁ~と思っていたカミキリも、アンテナ無しだとただの蟲ケラなんですね。
