私の標本箱から (24)
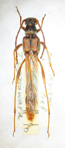
トガリバホソコバネカミキリ(Necydalis niimurai )♂♀ 高知県土佐郡土佐山村工石山 alt.1,000m 2. ⅶ. 1972
私にとって最も思い出深いカミキリの筆頭は、今から丁度半世紀前の高校1年の時に遭遇した、衝撃的な本種との出逢いであった。それでは、時を1972年7月2日に戻そう・・・。
本日も晴天なり。
と言うことで、一週間ぶりの採集は目下鋭意ファウナを調査中の工石山。同行のM君と共に一番バスで終点に至り、そこからダートの県道を歩いて登山口を目指す。この間陽を遮るものもないままに1時間半余り。標高550mの登山口からはネットを出し、虫屋目線でひたすら山頂を目指しあえぎ登る。
登山口から1時間、大汗をかき始めたころ塩梅よく休憩のできる無人小屋があり、ここでしばし一服。毎度のルーティーンだ。小休止で元気をもらい、上を目指して再び歩き出したその瞬間、飛翔中の何モノかが目の前を通過し、付近に着地した。おぉ、ラッキー!ムネモンヤツボシではないか。初採集モノはとかく嬉しいもの。とりわけ本種のような美人さんなら言うことなしだ。
その後も叩き網でこれまたお初のオオクボと初遭遇し、かなり気をよくして標高1,000m付近を登っていると、登山道左脇、斜めに伸びた立ち枯れの樹上で蜂が交尾しながらとまっているのがチラリと見えた。そのまま気にもとめずに素通りした・・・が、しかし待てよ。蜂ってあんな格好で交尾したっけかな!?瞬時に頭の中が混乱し始める。もう一度確認してみよう。急ぎ10m先から取って返し、改めて蜂の交尾態をじっと眺める。頭の中はグルグルとメリーゴーラウンド。後続のM君は10mのところまで近づいている。次の瞬間、頭の中を閃光が駆け巡り、気がついたらヤツらは私の両手で作った籠の中に。刺すなよぉ〜!との私の困惑顔を見て怪訝そうに声をかけてきたM君。どうした?何か採れた?・・・両手の籠の隙間からじっと中を覗き込む私。そして稲妻一閃。「エリトラがある!ネ、ネキだ〜!!!」
高知県初となるトガリバホソコバネが採れた瞬間であった。本種に関しては、伊豆天城山の材から出た話を月刊むし誌で読んで知っていたし(あの有名な「ネキニューデタ!」のお話)、四国にはクロホソ、オオホソ、ヒゲシロの3種のネキを産することも知っていたけれど、未だそのいずれの種とも遭遇したことのなかった私が、しかも四国ではほとんどその存在さえ認知されていなかったトガリバネキと、まさかこんなところで遭遇できるなんて思ってもみなかったものだから、突然襲ってきたパニックが、その直後には歓喜の渦となって私の心臓を激しく揺さぶるであった・・・。
風景写真:問題のハイノキの立ち枯れを、あの日取って返した10m先から見下ろす・・・の図。奥の斜めの大木はモミ。色褪せてはいますが、まぎれもなく当時の写真です。
