私の標本箱から (23)
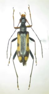
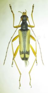
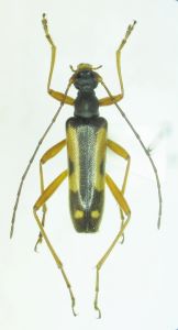
シラネヒメハナカミキリ(Pidonia obscurior)♂ 群馬県片品村菅沼 alt.1,750m 19. ⅶ. 2009【ご参考】写真中:同産地産シラネヒメハナ標準型♂、写真右:福島県下郷町甲子峠産標準型♀
シラネヒメハナは、現在基亜種P.obscurior obscuriorと亜種P.obscurior hakusana(ハクサンヒメハナ)で構成されており、♂中後腿節の色彩で両亜種を分けた時代が暫く続いたものの、その後の詳細な研究により現在では概ね信濃川(千曲川)を境に東西で両亜種を分ける考えに至っている。
今回は、そのシラネヒメハナ(基亜種)の限りなく♀斑紋に近い♂個体のご紹介。
本来本種は雌雄の斑紋差異が明瞭な種として知られており、故に同種の雌雄の見分けで苦労することなど考えもつかないことなのだが、今回ご紹介の個体は実に微妙な斑紋で我々愛好家を惑わせてくれる。
ご覧の通り、当該♂個体(写真左)はLb紋が発達してBB~S紋と幅広く連結しているのみならず、Lp紋も♂にあるまじき太さでS紋と連結し、結果一見♀個体(写真右)と見紛う斑紋パターンを有しているのだ。写真中が同産地における通常の♂個体であることを考えれば、如何にこの個体が♀の斑紋パターン寄りであるかをご理解いただけよう。
我が家の幾多の本種標本の中でも、ここまで♀の斑紋に寄せた個体は他には見当たらず、そういった意味ではとても貴重な標本と言えるのかもしれない。
