私の標本箱から (22)
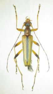
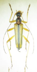
左:ヒミコヒメハナカミキリ西九州亜種(Pidonia neglecta hizena)♂ 佐賀県唐津市八幡岳(分布東限) 10. ⅴ. 2021 カエデ花上 (右:九州産原亜種♂ 宮崎県五ヶ瀬町白岩山産 14. ⅵ. 2021)ピドニア(Pidonia)は国内に60種ほどを有する大きなグループであるが、小規模島嶼や国土の縁部に産する種はごく限られることに加え、事実上珍稀種と言われる種もほぼ存在しないことから、コレクションとして全種パーフェクト所持を達成すること自体はさほど難しくない種群と言える。
一方、私自身がピドニア採集で出かけた島嶼・縁部というのは佐渡島くらいのもので、いまだ対馬にも出かけた経験がなく、よってそうした未踏エリアの標本は人さまから頂戴することで概ね所持できてはいるものの、残念かなこの亜種だけはこれまで永い間、縁のない状態が続いていたのである。
そんな現状を打破してくれたのが、福岡在住の友人であった。若かりし時代にはカミキリ屋として活動、大学在学中に採集したトラカミキリに彼の名が残るなど、それなりに頑張ってはいたものの、社会人になり多忙な日々を過ごす内にいつしか虫の世界からも遠のいていたのだが、還暦が近づいたある日突然!?虫屋の血が再び騒ぎ始め、採集活動復活を果たしたのであった。
ただ、嘗て全ての標本を手放していた彼としては、今さら新たに標本を集めようとは思わなかったようで、復活以降は健康維持のため運動がてら出かけた採集行の成果を、嘗ての虫友に送ってくれるようになったのである。そんな彼のありがたき心身健康維持活動の成果として、晴れて本亜種も我が家のピドニアコレクションのお仲間入りができたような次第。それにしても、私の期待に応えてはるばる虫影の薄い山塊に出かけ、しかもしっかり1頭確保してくれたTさんには感謝の言葉しかない。謝謝!
