私の標本箱から (21)
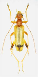
マツシタヒメハナカミキリ(Pidonia matsushitai)♂ 群馬県片品村菅沼 alt.1,750m 16. ⅶ. 2021 ゴトウヅル花上(写真左)以前ご紹介したマツシタヒメハナ♂黒化タイプに再度遭遇できたので、改めてここでご紹介したい。
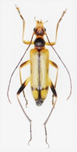
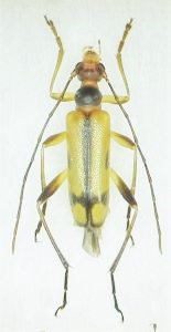
写真中が、前回「私の標本箱から(9)」でご紹介した御嶽山産♂で、今回の菅沼産(写真左)もよく似た傾向の黒化型と言えるが、永い彼らとの付き合いの中でもこのタイプの♂個体に遭遇したのはこの2頭のみ故、やはりかなり稀有な存在なんだろうと思う。ちなみに、写真右は御嶽山産の通常タイプの♂。
車道沿いに咲いていた満開のゴトウヅルを掬ったところネットインしたもので、摘まみ上げた瞬間、あれっ、何じゃこりゃ!?と思って目を見張ったものの、過去の経験がものを言い、前回ほどには悩むこともなく、直後にはこのタイプとの久々の再会を素直に嬉しく思えたような次第。
次またこの手のタイプに遭遇できるのは、果たしていつのことになるのであろうか!?
