私の標本箱から (02)
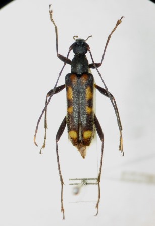
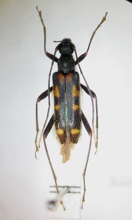
ヤマトヒメハナカミキリ(Pidonia yamato)2♀ 高知県土佐郡土佐山村工石山(くいしやま)alt.850m 10. ⅵ. 1973 コガクウツギ花上1972年に初めて遭遇したピドニアのひとつにヤマトヒメハナがあった。西日本には、これほどのボディサイズを持ちながら、かように黒色部が多く格調の高いピドニアは他には存在せず、個人的にはかなり格が上のピドニアとの印象を持っていたし、採れれば非常に嬉しい虫であったのも事実である。
その後、1977年に山脇好之氏によりヤマトヒメハナ九州亜種P.yamato higeshiroが記載(昆蟲学評論)されたが、手許の四国産標本を眺めて見ると、他の通常個体と共に同亜種とほぼ同様のヒゲシロ個体も2頭見出すことが出来たため、原記載を丹念に読み解き、これが四国産標本(とりわけ高知県産)をほとんど見ずして記載されたことによる誤謬と判断し、翌々年ELYTRA誌にその旨報告をさせていただいた。
・・・が、その一方でこの報文は、駆け出しの若造が臆することなく大先輩の報文にいちゃもん(?)を付けた格好となってしまい、今思い出しても若気の至りでお恥ずかしい限りであるが、とは言えその後この亜種が認知されている形跡がないことを思えば、当時の私の判断もあながち誤りではなかったものと秘かに安堵しているような次第。
写真の2個体が、まさにその時の比較・検討個体で、昆蟲学評論誌の記載内容と概ね一致する特徴を備えているが、同じ四国産でも讃岐山地産はより本州産に近い特徴を備えているように思える。
