私の標本箱から (16)
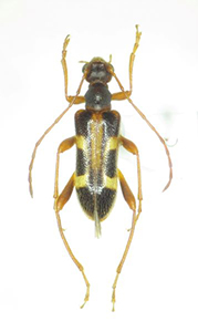
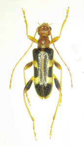
ニセフタオビヒメハナカミキリ(Pidonia testacea)左♂ 群馬県水上町蓬峠 25.ⅶ.1977右標準タイプ♂ 栃木県日光市裏男体林道 14.ⅶ.2010
私が初めて本種に巡り会ったのは、1975年7月の群馬県片品村丸沼であったと思う。カミキリ屋駆け出しの頃、日光山塊産で本州のピドニアを学んだ私としては、初心者故にその外見がフタオビヒメハナとよく似ていて区別が紛らわしい種と当時は感じていたのだが、それは一見お互いがよく似た色調をしている点も大きかったように思う。
ところが、その2年後に同じ群馬県の蓬峠(谷川山系)で巡り会った彼らは、私が認識していた本種の概念からは大きく外れた赤味の強い色調をしており、私に鮮烈なインパクトを与えただけでなく、その地域変異の妙が私のピドニアに対する関心を大いに高めることになった。その時の一頭が、今回取り上げた上左写真である。同右の比較標本(標準色タイプ)と比べてみると一目瞭然、色調の差異からもたらされる印象は随分と異なっており、しかも蓬峠の♂個体はほぼ全てがこのタイプで統一されるという点において、ついつい他の地域はどうなっているんだ!?と深追いをしてみたくなってしまった。
かくして各地でフィールド調査を行った結果、ほとんどのエリアでは標準色調の個体群を産する中において、ごく限られた一部のエリアではほぼ全ての♂個体の頭部~前胸部が赤味の強い個体群となることが確認できた。具体的には、苗場山、谷川山塊(含蓬峠)、乗鞍岳、北ア南部(安房峠など)、木曽駒ケ岳がその例として挙げられそうだが、これらのエリアが標準色エリアに取り囲まれるように孤立分布する様はたいへん興味深く、同じ種でありながら何故このような色彩変異、地域変異が生じてしまうのか、ピドニアの持つ奥深さ・不思議さにはどこまでも興味が尽きない。
ちなみに、手許の標本で確認の出来た標準色エリア(一部赤味の強い個体が混じるエリアもある)は以下の通り。
【頭部~前胸部の色調が原則黒褐色の標準タイプエリア】
帝釈山塊、日光山塊、尾瀬御池、那須山塊、浅間山塊、八ヶ岳、富士山、南ア北部、北ア北部
【標準色ベースの中にごく一部赤味の強い個体が混じるエリア】
坤六峠、野反湖、志賀高原、大河原峠、大弛峠、御嶽山
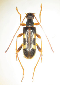
写真左:長野県栄村苗場山産 17.ⅶ.2011 (距離的に近い蓬峠産に比較的近い色調)
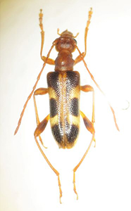
写真中:長野県宮田村木曽駒ケ岳産 21.ⅶ.2017 (上翅はくっきり黒褐色ながら頭胸部だけは赤褐色)
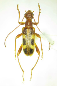
写真右:長野県佐久穂町麦草峠産 16.ⅶ.2016 (頭部~前胸部が黒褐色の標準タイプ)
