私の標本箱から (15)
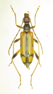
トウカイヒメハナカミキリ(Pidonia tsuyukii)左♂ 山梨県鳴沢村青木ヶ原 alt.1,100m 2.ⅷ.1986右♀ 山梨県上九一色村青木ヶ原 alt.1,100m 22.ⅵ.2003
永年マツシタヒメハナ(P.matsushitai)とされてきた個体群の中で、前胸背が黒化するという特異な特徴を有する富士山麓の個体群が、その後の詳しい調べでトウカイヒメハナとして分離・独立されたのはよく知られた話である。
原記載地となった青木ヶ原樹海は、ご承知の通り富士山の溶岩堆積物の上に作られた特殊な環境にある。この地の彼らがまだマツシタヒメハナと認識されていた1970年代、本種は当時脚光を浴びていたイガブチヒゲハナやヒメヨツスジハナといった美麗ハナカミキリを求めて出向いたついでに採れるピドニアといった認識が強く、それ故彼らの発生期は7月下旬から8月初旬、主たる訪花植物はノリウツギと長く認識していたのであった(個人的にはマツシタヒメハナというよりも、シコクヒメハナそのものではないのか!?と思っていたのだが…)。
ところが、その後の幾多のフィールド調査で彼らとの接点が増えるほどにその考えはもろくも崩れ去り、青木ヶ原での常識が、むしろこの虫にとっては非常識であることを知ることとなる。すなわち、彼らの主な棲息域は概ね標高500~1,000m程度の中山帯で、発生期はより早い5~6月、主たる訪花植物はガクウツギ、コゴメウツギ、カマツカの他、ウツギといった他には何も集まらない花をも好み、タイミングさえ合えば多数の彼らに巡り会うことも不可能ではない、と。
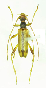
併せて、ほぼ全数の前胸背が黒くなるのは青木ヶ原周辺に限られるようで、他の産地ではむしろ頭部から前胸部が赤黄褐色を呈する個体が主体となり、その傾向は西に行くほどに増してくるように見える。現に手許の愛知県面ノ木峠産の標本には、前胸背が黒くなる個体は1頭も含まれていない。
左♂右♀ 愛知県設楽町面ノ木峠 alt.1,100m 8.ⅵ.2019
手許のデータによれば、最も早い採集記録は4月28日、最終は8月8日であることを考えると、非常に長い期間発生を続けているようにも見えるが、実際7月以降に採集されている個体はもっぱら青木ヶ原界隈に限られているようで、それだけに7月半ば以降でも多くの個体を見ることの出来る青木ヶ原の特殊性が際立って見えるのである。
実はその後の調査で、青木ヶ原でも6月の発生を確認することができた結果、その特異性は当初よりは薄らいだものの、それでも他ではほとんど見ることのない7~8月の発生には、やはり溶岩環境という特殊な棲息環境が影響を与えているのではないかと睨んでいるのだが、果たして如何なものだろうか!?
