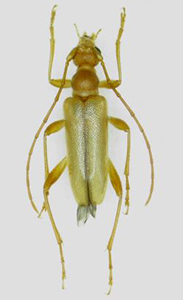
私の標本箱から (14)
ハクバヒメハナカミキリ(Pidonia pallidicolor)♂♀ 新潟県魚沼市浅草岳 alt.1,000m 8. ⅶ. 2018マツシタヒメハナ種群の中で、豪雪地帯に特化した種がハクバヒメハナと言える。長野県北部の栂池を基産地とし、北アルプス北部から頚城(妙高)山塊に限って産するものと私自身も永年思っていた。何故なら、現にそれ以西、以南、以東には母種のマツシタヒメハナP.matsushitaiが分布しているのだから。
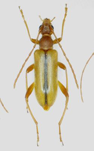
ところが、数年前「ピドニア懇談会」の演目を募集中に、神奈川在住のT氏から驚きの標本をお預かりした。これが初めて拝見する越後山脈(貉ヶ森山:むじながもりやま)産のハクバヒメハナで、そのあまりにかけ離れた想定外の分布には大いに驚かされてしまった。
この標本がもたらされた会越国境一帯は、ピドニア各種の分布北限と南限がせめぎあう非常に興味深いエリアで、実は私自身もこのところ好んでかの地に足を運んでいるが、幸い2018年に初めて訪れた浅草岳でも本種を確認することが出来、ネット中のその姿を実際に見て実に不思議な感慨に浸ったような次第。貉ヶ森山産同様、ここの個体群もどこからどう見てもハクバヒメハナそのもので、本種のもつ実に奇妙で興味深い分布パターンに、ピドニアの奥深さを改めて認識させられた一件となった。
