私の標本箱から (13)
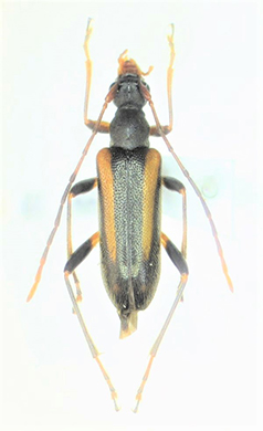
ナガバヒメハナカミキリ(Pidonia signifera)♀ 富山県富山市有峰 alt.1,100m 21.ⅵ. 2019本種は本州から四国、九州に至る各地において、晩春の頃よりシーズン最初に出現する長型ピドニア(Pidonia亜属)の優占種で、特段面白みのある特徴を備えているわけでもなく、それ故注目される機会も少ない種と言える。
しかるに、本種グループの面白い(厄介な)点は、地域によってその形態を大きく変化させる点にあり、とりわけ豪雪地域における形態変化が要因で、一部地域産については別種(P.tsutsuiiとP.jasha)として記載され今日に至っている。
これら新たに記載された種と母種(P.signifera)との棲み分けや分布境界線については今もって確固たる線引きがあるわけではなく、図鑑や図説の類ではややファジィな表現に留めるか、一方で近年纏められた富山県の目録の如く県内産全てをナガバヒメハナとして取り扱う等、必ずしも対応は一様ではない。
さて、種内の形態変化はさて置き、本種♀のごくごく一般的な上翅斑紋として、S紋・Lp紋の結合部とA紋との間に無紋(黄褐色)の空間が一対現れるのが普通(写真右円内)であるが、今回ご紹介する個体はその空間が全て塗りつぶされ、一見上翅の後半部が真っ黒に見えてしまう個体である。ビノでよ~く見ればかすかに空間があるようにも見えるものの、肉眼ではほぼ黒一色にしか見えず、採った瞬間からとても奇異な印象を持った個体であった。手許にある数多くの標本を眺めてみても同じような個体が他に見つからないことから、思いのほか珍しいタイプなのかもしれない。
写真右:長野県伏野峠産
