私の標本箱から (11)
フタオビヒメハナカミキリ(Pidonia puziloi)♂ 栃木県日光市光徳 alt.1,400m 6. ⅶ. 1980どこにでもいて、しかもたくさんいる。そんなピドニアの代表選手の一つが、今回取り上げたフタオビヒメハナ(フタオビチビハナ/フタオビノミハナ)であろう。身近な山で日陰のガマズミの花を掬えば簡単にお目にかかることが出来るが、私が初めて本種に遭遇したのは、高知県梶が森のコクサギの花からであった。今を去ること○○年、懐かしき中学生時代のGW期間中の採集行であったが、全く目立たない、しかも独特の香りを発するこの黄緑色の花に集まる本種の習性に、初遭遇ながらも驚いたものである。
どこかの山に出掛ければ日常的に見かける普通種でありながら、改めて本種をじっくりと眺める人は少ない。どれもこれも皆な同じように見えるピドニアの中でも、とりわけ小さく特徴の少ない種に思えるからであろうが、よくよく眺めていると稀にちょっとおかしな個体が混じることもある。
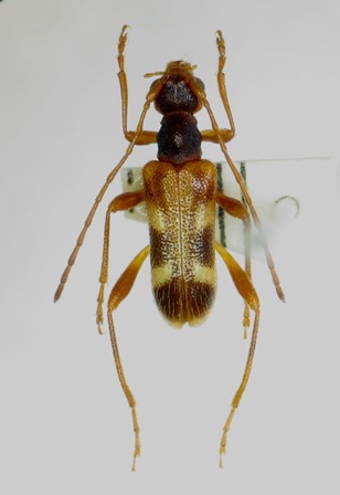
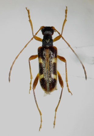
写真左の個体は、表記採集データが示す個体であるが、ご覧の通り上翅の褪色が著しい個体で、突発的な異常個体かと思ったら、同時採集した個体の中にもう一頭同様の個体が混じっていたので、もしかしたら特定地域における特異な個体群、もしくはごく稀に普遍的に出現する特異な色彩変異個体なのかもしれない。
ちなみに、右個体=同じ奥日光半月山産の個体(2. ⅶ. 2004)はよく見慣れた標準タイプの個体で、その他手許にあった同じ奥日光湯元産の個体もごくごく普通の個体であったことを思えば、同じ奥日光産の中でも、この光徳産の2個体(共に♂)の異様さだけがやけに際立つのであった。
こうして2頭の写真を並べてみると、同じ奥日光産でありながら、体色の面のみならず、気持ち光徳産の方がアンテナが太短いように感じられるのだが、果たしてこれは単なる個体変異の範囲内・・・!?
※写真:左=奥日光光徳産、右=奥日光半月山産
