私の標本箱から (10)
ホソガタヒメハナカミキリ(Pidonia semiobscura)♀ 長野県木曽郡木曽町御岳中の湯 alt.1,850m 18. ⅶ. 2013 ニシキウツギ花上久し振りの御岳行であったが、この日は採集者の多い大滝村を避け、木曽町側から御岳中腹を目指した。あの御岳大噴火の一年前のことである。
宿を出た時から小雨模様だったこの日、それでも薄暗い空模様の中をどんどん突き進み、やがて車で行ける限界点に到達する。まだ早い時間帯と言うこともあって湿気を帯びた冷涼な空気に包まれる中、ピドニアの訪花植物を探しつつ辺りを散策してみるが、大滝村側とは異なり適当な花がほとんど見つからない。
やがて時間の経過と共に徐々に小雨交じりの霧も晴れ、少し青空も見え始めて気分が盛り上がってきた頃、低い目立たない位置に咲き残りのニシキウツギを見つけた。ぼうっと歩いていたら確実に見逃してしまうアングルだ。
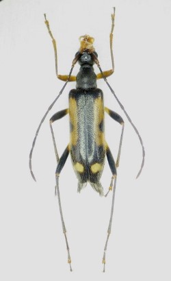
この日の状況(ここまでの成果)から判断して、これはとても貴重な花に思えたので、慎重に花全体が受けられるようネットを配置して、やおら樹全体をゆっくりと揺する。幸いにもネットの中には期待したフイリヒメハナやニセハムシハナなどが入っていたが、最後につまみ出した個体を見て驚いた。どう見ても普通のホソガタヒメハナの♀なのに、前胸背が真っ赤だなんて!確かに♂については、エリアによってはしばしば頭部~前胸背が赤褐色化する個体に遭遇することがあるが、♀でありながらキベリクロヒメハナの如く前胸背が完全に赤い個体など、さすがにこれまで一度も見たことが無い。
結局、私が所持するホソガタヒメハナの中でも、前胸背が真っ赤な個体は今もってこの一頭きりである。果たして私の現役活動中に、再度同じような個体に遭遇できる機会はあるのだろうか!?
※写真:左=当該個体、右=栃木県産
