私の標本箱から (01)
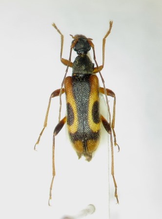
トサヒメハナカミキリ(Pidonia approximata)♀ 高知県土佐郡土佐山村工石山(くいしやま)alt.850m 3. ⅵ. 1973 コガクウツギ花上私がピドニアに興味を持つきっかけとなった標本。当時はまだカミキリ全般に対する知識や経験も乏しく、むろんピドニアは数あるジャンルのひとつでしかなかった。初めてピドニアを採集したのもこの僅か3年前のことであり、それ故「超」の付く普通種でさえも当時はまだまだ新鮮に感じ、たくさんの個体を持ち帰ったことが奏功、セスジヒメハナとばかり思い込んでいた一群の中に、なんとも奇妙な1 ♀が紛れ込んでいたのを帰宅後に気づき、ピドニアの奥深さと面白さを実感したのが、この魑魅魍魎(?)とした世界に入り込む始まりであった。
この時の成果を、当時定期購読していたカミキリニュースのネタ(不明種Pidonia sp.)として情報提供したところ、それを見られた窪木幹夫氏から標本確認希望の手紙をいただいたりもした。
かくして、この不明種が4年後の1977年、その窪木氏により表記種名で新種記載され、晴れて頭の中のもやもやが取り払われたような次第。更にこの種の和名に我が郷里の名が付いたことも相まってとりわけ思い入れの深いピドニアとなり、この一件を起点に今日に至る愛しくも悩ましげなピドニア愛好ストーリーへと繋がっていくことになる。
