新潟県佐渡市ドンデン山~大佐渡スカイライン alt.300~900m 9~10.ⅵ.2017
6月10日は「時の記念日」であると共に、実は私の誕生日でもある。そこで去る2017年6月、その日を絡めて、ピドニア愛好家としては出掛けない訳にはいかない佐渡島に、この時季初めて出向いた。嘗て15年ほど前に一度だけコブ叩きで訪れたことがあったが、今回はワイフ同伴の半観半虫(半分観光、半分採集目的)の旅である。
初日は、前回土砂崩れで出向けなかったドンデン山から始動。標高の移ろいの中、ガマズミ、ミズキ、ゴトウヅル、サワフタギ、ヤマブキショウマ、ヤグルマソウ、タニウツギ、ナナカマドとピドニアの訪花植物にこと欠くことはなかったが、ナガバ、サドセスジ、サドチャイロの3種は早々に見つかったものの、どうしても最大のターゲットであるヤマヒメハナが入らない。その代りと言っては何だが、本場サドチビアメイロやトワダムモンメダカなんぞが入ったりもしたが、やはりいまいち納得がいかない。

山上での遅い昼食後、ドンデン山を諦め、転じたのが大佐渡スカイライン。ここは15年前の激戦地?で、ここのタニウツギからやっと目的種が入るが、思いのほか個体数は少ない。この年は春先の大雪によるシーズン遅れがたびたび話題に上っていたが、タイプシリーズの記録が6月中~下旬であることを考えれば、やはり少しばかり早すぎたかもしれない。
とりあえず目的のピドニアが全種(と言っても僅かに4種)採れたことで半虫の予定は一旦幕引きとし、明るい内にこの日の宿泊施設(ワイフの為に予約した島唯一のオーベルジュ)に向かう。採集の夜にフレンチのフルコースなんて、流石に初めての経験であった。
翌6月10日は、半観の主目的である「トキの森公園」に出向き、生まれて初めてNipponia nipponと面会した。国産最後となった個体の剥製標本や檻内で飼育中の生体、更にはその後の近隣散策で見かけた田園風景の中をゆったりと飛翔する厳かな姿・・・文字通りこの年の6月10日が私にとっての「トキの記念日」となったような次第。
昼食後、最後のひとあがきで悪天候を突いてのヤマヒメハナ単騎狙いの1時間枠を貰ったが、残念ながら追加は叶わず。そうこうしている内にあっという間の出港予定時刻を迎え、後ろ髪を引かれつつ両津港を後にしたのであった。
今回のツアー、観光の成果はまずまずであったものの、虫の成果としてはヤマヒメハナの個体数が想定外に少なかったことと、一生懸命捜したわけではないが淡い期待を抱いていたサドチビコブやサドマイマイの姿を見ることができなかったのがちょっぴり残念であった。またの機会があれば、是非リベンジしてみたいものだ。
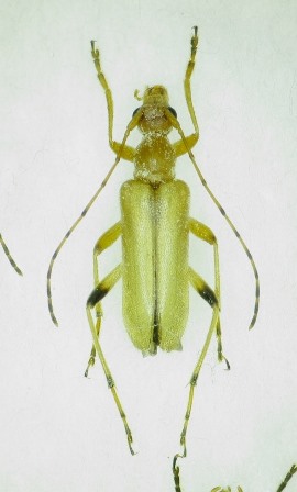
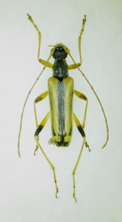
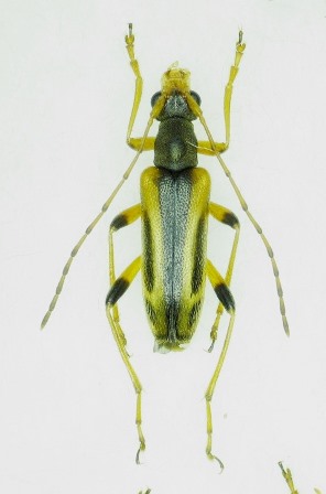
2017年6月9~10日の遭遇種
・ナガバヒメハナ P. signifera
・ヤマヒメハナ P. modesta
・サドセスジヒメハナ P. sadoensis
・サドチャイロヒメハナ P. telephia
