静岡県伊豆市天城峠 alt.830~950m 5. ⅵ. 2005
関東地方に永く在住していたにもかかわらず、21世紀になるまで何故か伊豆半島方面へのピドニア採集には一度も出掛けたことがなかった。ただし、上京したばかりの学生時代に材採集で遠笠山方面に出向いたことがあったのと、実は1980年代に一度だけ5月にネットを振ったことがあったのだが、その時は水生池から八丁池に至る登山道を歩いて登ってみたものの、そんな苦労の甲斐もなく成果と言えるようなものはほとんど無かったと記憶している。
いつかは伊豆にピドニアを採りに行かねば!との思いが募っていた2005年の6月初旬、意を決して初のピドニア採集行に出向いた。前日の午後自宅を出発し、東名高速~小田原厚木道~ターンパイク~濃霧の伊豆スカイライン経由で宿泊地・湯ヶ島に入った時にはすでに18時を過ぎ、辺りが薄暗くなり始める時間帯であった(その夜、宿の近くでゲンジボタルの乱舞を初体験!)。
かくして、翌朝は気合を入れ、いざ天城峠へ!・・・と言いたいところだったが、実は前夜慣れない寝床になかなか寝付けず、かなりの寝不足状態でフラフラの出発となってしまう。それでも旧道のトンネル脇に車を停め、15分かけてまずは天城峠に至るが、ここに見事に開花したヤブデマリの大きな株があり一気に期待を高めてくれたものの、丹念に掬った結果は数頭のニセヨコモンヒメハナの中に、僅かにコトヒメハナが1頭紛れ込んでいたのみ。
天城トンネル(旧道)

天城峠
その後尾根筋を八丁池方面に向け歩を進めるも、途中見られたカマツカの花から落ちてくるのは、チャイロ、フタオビチビ、ニセヨコモン、ナガバのお馴染み四天王ばかりで、なかなか期待のコト、キベリクロ、ツマグロは入ってくれない。途中の道草がいけなかったのか、わさび田に差し掛かった頃にはすでに11時半になっていて、しかもそこで目にした看板には「八丁池まで3.6キロ」、先はまだまだ長いぞ!と書いてある。フラフラの寝不足状態で八丁池に至るのは到底無理!とあっさり断念し、とは言えその周辺での最後のあがきでキベリクロヒメハナとツマグロヒメハナをかろうじて確保はしたものの、結果的にこの時の採集行は期待には遠く及ばないほろ苦い初伊豆ピドニア行脚となってしまった。ただ、この時の経験により現地の様子や花の開花期が分かったことで、翌々年6月の再挑戦の際にはそれなりの成果もあがり、何とかリベンジを果たすことができたような次第。

尾根道

わさび田脇の満開のカマツカ
余談ながら、ピドニア以外で期待していた美しいアマギカラカネハナはミズキの倒木で3頭採集できたものの、実に全個体がごく普通に見られる赤紫色の残念な個体ばかりであったのは、どうして!?
2005年6月5日の遭遇種
・ナガバヒメハナ P.signifera
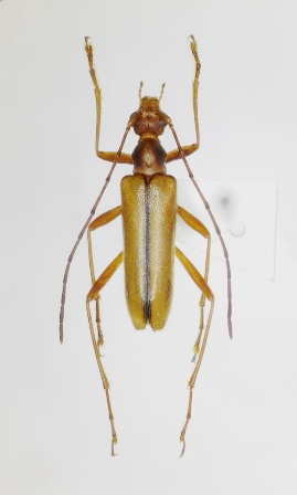
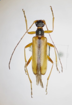
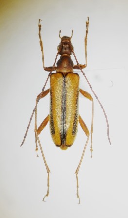
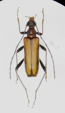
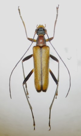
・ツマグロヒメハナ P.maculithorax
※♂:特異な点として、手許にある♂個体は全個体翅端紋を欠く!果たしてこれでもツマグロ???
♀:手許の♀標本は翅端紋のある/なしが存在する(写真は翅端紋が明瞭な個体)
※窪木(2000)は、天城山系には2種のツマグロヒメハナ種群が分布する旨指摘しているが、いずれの種においても翅端紋についての言及はなく、今回の個体がどちらの種を指すのかは不明
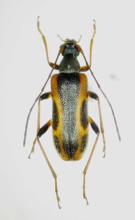
・キベリクロヒメハナ P.discoidalis
・ニセヨコモンヒメハナ P.simillima
・コトヒメハナ P.lyra
・チャイロヒメハナ P.aegrota
・フタオビチビハナ P.puziloi
※ご参考:伊豆半島産ヤノヒメハナ種群の一種 P.chairo系 sp.(1981年5月9日水生池産)
