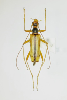
徳島県那賀郡木沢村高城山(剣山スーパー林道) alt.1,200~1,400m 12. ⅶ. 1992
高校卒業以来、久しくご無沙汰していた四国の虫達との再会は、1992年、社命による高松支店転勤辞令により突然具現化した。公共交通機関での移動に限界があり、高校時代まではよく知られた幾つかの有名採集地にしか出向いたことのなかった私が、赴任以降それまで足を延ばせなかったエリアを嬉々として駆け廻ったのは言うまでもない。
かくして、高校時代までに縁の無かった種の探索を軸に各地を徘徊することになるのだが、ピドニアでは唯一マホロバヒメハナを採りこぼしていて、ピドニア愛好家としてはちょっぴり残念な思いが募っていた。そこで、赴任初年の1992年に何はさておき出掛けたのが、本種を筆頭にブロイニングヒメハナ以外の四国産全種が記録されている表記エリアであった。四国山地の最深部、公共交通機関では到底辿り着くことのできない彼の地は、高松からでも三つの峠を越えなければ行き着くことのできない辺境の地である。

あいにくの天候となった当日は、彼の地をよく知る地元の知人に同行いただき、トゲムネアラゲやシコクヒメコブハナ等、ピドニア以外の目的種をも探索しながら前進するが、ほんの少し時季が遅かった所為かゴトウヅルやコゴメウツギの花にピドニアの姿は少なく、前日から入っていたと言う香川県の同好者や、後から来た徳島のカミキリ屋さん等と談笑しながらの屋外サロン的な採集となってしまい、結果的にこの日の成果は事前の期待を満たすまでには至らなかった。

それでも、かろうじて目的のひとつであった(待望の)マホロバヒメハナをコゴメウツギの花から幾つか摘まむことができたのは、ピドニア愛好家としては幸いだったと言えるだろう。聞けば、前日は種類数・個体数共に恵まれていたそうで、次回はもう少し早い時季に再挑戦してみよう!と、早速次年度の計画表に彼の地をプロットすることとなった。

最後の写真はコゴメウツギ花上マホロバヒメハナ。運よく低い位置に♀を見つけカメラを構えていたら、突然ファインダーの中に♂が飛び込んできて、あっという間にマウントしてしまった。
1992年7月12日の遭遇種
・ナガバヒメハナ P.signifera
・サイゴクヒメハナ P.falcata
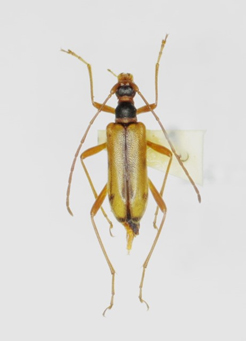
・マホロバヒメハナ P.leucanthophila


・イシヅチヒメハナ P.shikokensis
・ニセヨコモンヒメハナ P.simillima
・チュウジョウヒメハナ P.chujoi
※その他、オオヒメハナP.grallatrix、チャイロヒメハナP.aegrota、アワヒメハナP.ogasawarai(当時の認識は当然フタオビヒメハナP.puziloi)を目撃、未採集。
※現地で伺った前日の成果は、上記種に加え、ヤマトヒメハナP.yamato、イヨヒメハナP.hylophira、トサヒメハナP.approximata。
