宮城県刈田郡蔵王町蔵王連峰 alt.800~1,400m 7.ⅶ.2007
ピドニアを軸に活動するようになって以来、もっぱら本州中部山岳エリアを徘徊する機会が多くなっていたが、常々行ってみたいと思い描いていた東北山塊に初めて出向いたのが、この蔵王行であった。
早朝の新幹線で白石蔵王に入り、そこからレンタカーを借りて一路蔵王連峰を目指す。エコーラインに入り、滝見台の先のヤマブキショウマから、嬉しいかな初めての面会となるトウホクヒメハナ(P.michinokuensis)がネットイン、更にこの日唯一となったニセヨコモンヒメハナやナガバヒメハナ(実はトウホクヒメハナとばかり思い込んでいて、帰宅後に判明!)の姿も見られた。

エコーライン脇のヤマブキショウマ
エコーラインを離れダートの脇道を進むと、辺り一面そこかしこにミズキの花が咲き乱れ、すぐ横に満開のサワフタギやタニウツギがあっても、あらゆる虫がミズキに集中する、そんなミズキ圧倒的優位の状態が続いている。最初の一頭には感動したトウホクヒメハナは、やがて見るのも嫌になるくらいのおびただしい数に圧倒され、そしてもう一つの東北特産種である待望のミチノクヒメハナ(P.hamadryas)にも面会を許されたものの、意外や初めて見る生の本種は、一緒に見られるミワヒメハナと非常に紛らわしく、慣れるまでに暫しの時間を要してしまった。
満開のミズキ
霧の中のコバイケイソウ
コバイケイソウ花上のミチノクヒメハナ
かくして、初めて臨んだ本格的な東北山塊は、やはり中部山岳地域と比べれば見かける種数にも自ずと限りがあるようで、同時に見られたハナカミキリやトラカミキリについても華やかさは乏しく、同じ種類ばかりがやたらたくさん見られる、そんな印象を持ったエリアではあったのだが、その一方でここに行かなければ遭遇できない種も少なからず存在し、今後も時期と場所を変えつつ再挑戦してみる価値の高いエリア・・・との認識を持ったような次第。
2007年7月7日の遭遇種
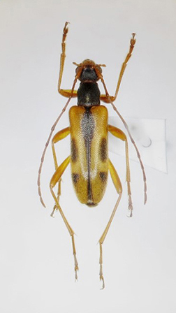
・トウホクヒメハナ P.michinokuensis
・ナガバヒメハナ P.signifera
・ヤノヒメハナ種群 P.sp.(1)・・・H紋を欠く、より低標高域に分布の中心を持つ種
・ヤノヒメハナ種群 P.sp.(2)・・・B~H紋を有する、より高標高域に分布の中心を持つ種
・ブービエヒメハナ P,bouvieri
・キベリクロヒメハナ P.discoidalis
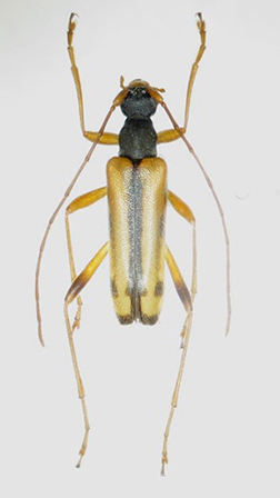
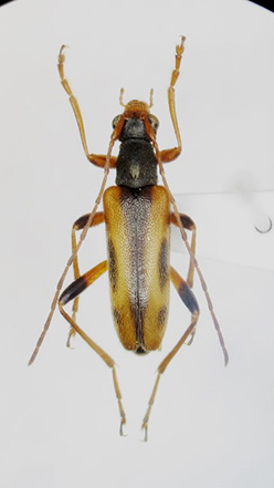
・ミワヒメハナ P.miwai
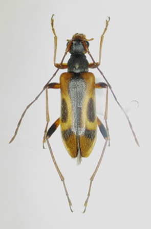
・ニセヨコモンヒメハナ P.simillima
・ムネアカヨコモンヒメハナ P.masakii
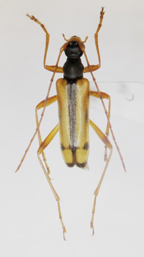
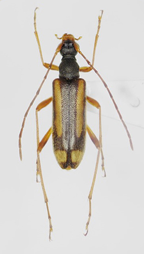
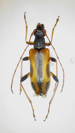
・ミチノクヒメハナ P.hamadryas
・セスジヒメハナ P.amentata・・・仮称モリセスジヒメハナ、月刊むし461号参照
・チャイロヒメハナ P.aegrota
・フタオビヒメハナ P.puziloi
