新潟県南魚沼郡湯沢町三国峠界隈 alt.950~1,300m 18.ⅵ.2004
~群馬県利根郡水上町湯檜曾界隈 alt.750~950m 19.ⅵ.2004
ピドニアを調査対象の軸に据えた時から、個人的に最も関心を抱いていたハクサンヒメハナ種群追跡の旅、その続編。
前回ご紹介の野反湖以降も毎年どこかしらハクサンヒメハナをターゲットとした採集行を行っていたのだが、実は湯檜曾の本種は、今を去ること40年ほど前の学生時代に、ほとんど無意識の中で採った経験があったのだが、今回はこのエリアの個体群が有する特徴や変異幅を掴むため、真正面から彼らをターゲットに据えての再会目的ツアーである。
初日は、早朝自宅から関越自動車道経由で三国トンネルを越え、新潟県側登山口から三国峠を目指すも、思いのほかポイントとなる花が少なく、タニウツギ・ガマズミ・マユミ・ヤグルマソウがほんの少し見られただけで、ピドニアどころか虫自体が非常に少ない。敢えて峠へのメインルートから離れ、脇道に入りどんどん標高を稼ぐも、相変わらず虫の姿は少ないままに時間だけが経過するばかり。やっとの思いで稜線に出、峠に向って歩を進めると、何のことは無い、あれだけ探し求めていたタニウツギが峠周辺にはたくさん咲いているではないか!これに飛びつき丹念に掬っていくと、嬉しいかな待望のご当地ハクサンヒメハナが次々とネットに入り、一時間も経った頃にはもはやご満悦の境地に・・・。
.jpg)
三国峠の中腹で見られたミズキ
次に少し標高の低い沢沿いエリアを探索し、ここのタニウツギとミズキからもハクサンヒメハナ始め、若干のピドニアを追加。
.jpg)
満開のミズキ
さて、翌日は新潟県側から一気に上越国境越えで群馬県水上町湯檜曾界隈に向かうことに。有名な一ノ倉沢の絶景を横目で眺めつつこの一帯を徘徊し、ここでもミズキやタニウツギの花からハクサンヒメハナを始めとした各種ピドニアに遭遇することができた。但し、すこぶる良好な環境に見えるより標高の低い湯檜曾川沿いに咲いていたゴトウヅルからは何の音沙汰もなかったのはどうした訳であろうか・・・!?
雄大な一ノ倉沢の絶景
この両日に遭遇したハクサンヒメハナは、初日の三国峠の個体群が高頻度で赤味の強い個体が混じる等、志賀高原や野反湖辺りの個体群に近い印象を持った一方で、湯檜曾界隈の個体群は全身ほぼ真っ黒な個体ばかりで、近隣では坤六峠や武尊山の個体に近い印象を持ったような次第。
かくして、大嫌いな渋滞を避けるために現地を12時半に発ち、走りに走って丁度3時間後の15時半には無事帰着し、往復550kmに及んだハクサンヒメハナとの再会の旅を終えたのであった。
2004年6月18~19日の遭遇種
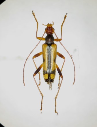
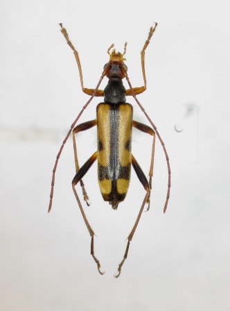
・ハクサンヒメハナ P.obscurior hakusana
三国峠産♂♀(alt.1,200~1,300m)
湯檜曾産♂♀(alt.850~900m)
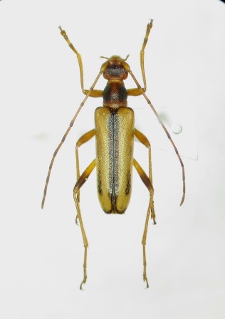
・ホソガタヒメハナ P.semiobscura
・ナガバヒメハナ P.signifera
・ヤノヒメハナ種群の一種 P.sp.1・・・B~H紋を有する後胸腹板明色タイプ
・ヤノヒメハナ種群の一種 P.sp.2・・・H紋を持たない後胸腹板明色タイプ
・マツシタヒメハナ P.matsushitai
・アサマヒメハナ P.takechii
・ブービエヒメハナ P.bouvieri
・キベリクロヒメハナ P.discoidalis
・オヤマヒメハナ P.oyamae
・ミワヒメハナ P.miwai
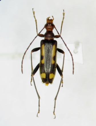
・ヨコモンヒメハナ P.insuturata
・ムネアカヨコモンヒメハナ P.masakii
・セスジヒメハナ P.amentata
・フタオビヒメハナ P.puziloi
※他に、オオヒメハナP.grallatrixとチャイロヒメハナP.aegrotaにも遭遇していた・・・と記憶
