長野県南佐久郡南牧村本沢温泉 alt. 2,000~2,100m 7.ⅶ.2016
特別なシラネヒメハナが分布する、ピドニア好きにとって一度は出かけなくてはならぬ産地、それがここ、八ヶ岳東面の中腹に位置する本沢温泉だ。その飛び離れた分布と希少性から特別なシラネ群と認識されていて、ピドニア愛好家にとって一度はその姿を自分の目で拝んで(捕えて)みたい!と思う憧れのピドニアである。
かくして2006年7年、初めて彼の地に赴いた際、最後のアプローチ林道の悪路に苦戦を強いられた私は、目的種が採れなかったショックもあってその後しばらくは再戦を控えていたのだが、ここの悪路走破を目的に四駆に乗り替えたのを機に、10年の年月を経て再度あの難関アプローチ道に挑んだのがこの日であった。
車高の高い四駆はさすがに悪路走破性に優れ、この日はほぼ腹を打つことなくスムーズに上のゲートまで進み入ることができ、以降ゆっくり歩きながら温泉を目指す。時折みられる花を掬いながら歩を進めるが、温泉手前の環境の良い一画で幸いにもいきなり本命を引き当てることに成功!一気にテンションをあげて先に進むが、後が続かない。やがて温泉に到着するも、悲しいかな、期待していた周辺のナナカマドはほぼ終わっていて、時おりシャクナゲが見られるのみ。しかもそのシャクナゲの花には、シラネどころか何も来ていない。
小屋の少し下の一画に一本だけ咲き残っていたナナカマドを見つけ、残り花を丹念に掬ったところ、想定外の大きなピドニアがネットイン。一瞬何だか分からず混乱したが、よくよく見ると大きなシナノヒメハナの雄個体であった。この地では初めての遭遇故にとても嬉しく思ったが、結局これを最後に以降はほとんどピドニアの姿を見ることも無く、淡々とこの日は終了。下山時、道脇の針葉樹立ち枯れでアラメハナの雌個体に遭遇できたのがせめてもの救いか。
車を停めてある上の駐車場ゲートに着いてからも、まだまだ気は抜けない。下りで車と出くわしたりはしないか、途中誰かがスタックしてはいないか(現に某K氏はここで見事スタックしてJAF待ちで半日潰したそうな…)、とにかく下の温泉入口駐車場に出るまではヒヤヒヤの連続で、もし彼の地にお出かけの際には、最後にこのスリル満点のアプローチ道がある点、心積もりしておいていただきたい(むろん下の駐車場に停めれば、歩きが1時間増えるだけで特段問題はないのだが・・・)。
2016年7月7日の遭遇種
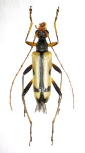
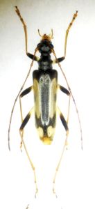
・シナノヒメハナ P. suzukii
・シラネヒメハナPseudopidonia obscurior yokoyamai
・ホソガタヒメハナ P. semiobscura
・シンシュウヒメハナ P. hayakawai
・ウスモンヒメハナ P. pallida
・ミヤマヒメハナ P. sylvicola
・カクムネヒメハナ P. orientalis
・ブービエヒメハナ P. bouvieri
・ニッコウヒメハナ P. limbaticollis
・ヨコモンヒメハナ Cryptopidonia insuturata
・ムネアカヨコモンヒメハナ C. masakii
・オヤマヒメハナ Paleopidonia oyamae
・チャイロヒメハナ Mumon aegrota
・ニセフタオビノミハナ Omphalodera testacea
