山梨県笛吹市蕪入沢上芦川林道 alt.1,000~1,400m 1.ⅵ.2024
富士山の北側に東西に横たわる御坂山地のほぼ中央、黒岳(1,793m)の北側山腹を縫うように走るのが蕪入沢上芦川林道だ。この地を初めて訪れたのは1980年代のこと。セダカコブヤハズとフジコブヤハズ、あわよくば両者のハイブリッドを獲たいが為であった。
その後しばしの時を経た21世紀初頭、ターゲットをピドニアに代えて再訪したところ、成果の中のその時はマツシタヒメハナとばかり思い込んでいた輩が、実はトウカイヒメハナの誤りだったことに後日気づくという苦い経験があったりもしたが、今回はその時以来かなり久しぶりの再訪で、もちろんその主たる目的は因縁?のトウカイヒメハナとの再会にあった。
嘗て知ったる採集地とは言え、相変わらず分かりずらい入口を何とか通過し、前夜の土砂降りで濡れた林道をどんどん奥へと進み入る。やがて標高1,000m地点のコゴメウツギ、同じく1,100mのノイバラ、更には1,400m地点のミズキ等、各種花上からピドニアがネットインするが、何故か本命のトウカイヒメハナにだけはお目にかかれぬまま時間だけが過ぎ去っていく。
やがて日向坂峠(通称ドンベイ峠)を抜け上芦川側に入ると、噂に聞いていた観光テラス設置の影響で、彼の地一帯は実に採集のしづらい雰囲気に変貌を遂げており、さすがにこんな観光地化された一画に長居をする気力などなく、早々に蕪入沢側に舞い戻り、今来た道を下りながら引き続きトウカイヒメハナの探索を続けるものの、結局この日は再会叶わず、他のピドニア13種と遭遇できただけで帰還することになってしまった。
ともあれ彼の地のトウカイヒメハナ、実は今もってここでの実績が本種の分布圏北東端記録として、分布端記録の一翼をしっかり担っているのであった(東限記録としては愛鷹山)。
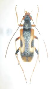
2024年6月1日の遭遇種
・ナガバヒメハナ Pseudopidonia signifera
・ホソガタヒメハナ P.semiobscura
・ヤノヒメハナ P.chairo
・シンシュウヒメハナ P.hayakawai kuriharai
・ツマグロヒメハナ P.maculithorax
・キベリクロヒメハナ P.discoidalis
・オオヒメハナ P.grallatrix
・ニセヨコモンヒメハナ C.kaguyahime
・ムネアカヨコモンヒメハナ C.masakii
・セスジヒメハナ C.amentata
・トサヒメハナ C.approximata
・チャイロヒメハナ Mumon aegrota
・フタオビノミハナ Omphalodera flaviventris
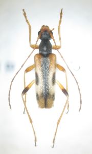
この日は未採集ながら、別の機会に同地で確認のできた種
・トウカイヒメハナ P.tsuyukii
