群馬県吾妻郡六合村野反湖 alt.1,500~1,600m 18.ⅶ.2002
本州産ピドニアの中で、かねてより個人的に最も関心を抱いていたのが、その立派な体型や地域変異の面白さからハクサンヒメハナ種群であったのだが、21世紀を迎えるまで彼らと接触があったのは、僅かに学生時代の奥日光、武尊山、そして谷川山系の湯檜曾だけで、その頃までは私自身その全容を全く理解できていなかったのである。当時ピドニア懇談会で彼らに関する講話を聞いても、実はよく分からなかった・・・と言うのが正直な話で、とにかく「まずは各地・各山塊の彼らに逢いに行って、彼らをしっかり理解しよう!」が当時の私の大きな関心事であった。
かくして四国転勤からの帰任3シーズン目を迎えた2002年、晴れてこのテーマを実行に移すことになったのだが、この時彼らとの遭遇を思い描いて策定した行程が、野反湖→浅間山塊→万座→御飯岳→志賀高原→北ア扇沢を一巡するハクサン周回ルートであり、その初日がまさにこの野反湖であったのだ。
.jpg)
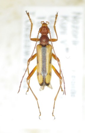
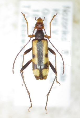
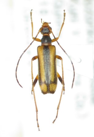
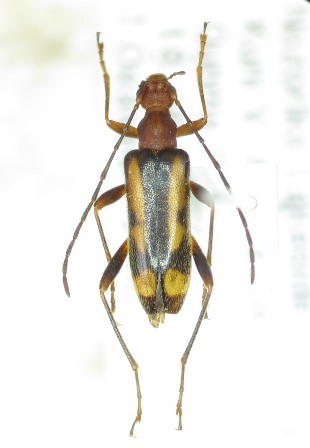
早朝横浜を出発し、走り続けること4時間強。この人造湖の入り口に降り立ったのは既に陽も高い時間帯であったが、幸い湖の周辺にはヤマブキショウマがそこかしこに咲いており、これに各種ピドニアが集まっていた。懸案のハクサンヒメハナに関しては、黒い個体から赤い個体に至るまで、同一種内・同一エリア内にも関わらず実に多様なタイプが出現する様に驚きつつも、そんな変幻自在の彼らとの出逢いをのんびりじっくり心行くまで堪能できた一日であった。
.jpg)
.jpg)
.jpg)
かくして、この野反湖でのファーストコンタクト以降も彼らとの嬉しい遭遇の旅は続いたのであった・・・。
2002年7月18日の遭遇種
・ハクサンヒメハナ P.obscurior hakusana
・ヤノヒメハナ種群の一種 P.sp.・・・H紋を有する後胸腹板暗色タイプ
・マツシタヒメハナ P.matsushitai
・アサマヒメハナ P.takechii
・オオヒメハナ P.grallatrix
・オヤマヒメハナ P.oyamae
・ミワヒメハナ P.miwai
・ヨコモンヒメハナ P.insuturata
・ムネアカヨコモンヒメハナ P.masakii
・ニセフタオビヒメハナ P.testacea
・フタオビヒメハナ P.puziloi
