新潟県妙高市大毛無山 alt.700~1,100m 7.ⅶ.2019
先に「ピドニア採りある記」(27)でご紹介した伏野峠行(2019年度のピドニア懇談会合宿採集会初日)の翌日に出向いたのが、ここ大毛無山である。前日同様T氏とご一緒させていただいた。
ここも前日訪れた関田山塊(伏野峠)同様初めて訪れる山塊で、妙高連峰の主稜線からかなり北に外れた一画だけに、果たてどのようなピドニアが棲息しているのか!?そんな期待を抱きつつの調査採集行となった。冒頭ルートの探索に少し手間取ったものの、何とか峠に通じる林道の入り口を見つけだし、以降徐々に高度を上げながら点々と咲くタニウツギやミズキを掬いながら標高を稼いでいった。
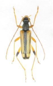
しばしの時を経て、到着したのは車で行ける最高地点と思しき一画。ここまでの成果は概ね予想した通りではあったものの、この稜線一帯にはあいにくピドニアの好む開花植物が一切見られず、やむなく始めた叩き網のネットに最初に落ちて来てくれたのが、よもやまさかのハクサンヒメハナ!是非ここにも分布していて欲しい!と期待していたピドニアだけに喜びも一入で、あいにくその後の追加は叶わなかったものの、この僅か1頭の偶然の成果のお陰で、少しは晴れやかな気分で山を後にすることが出来たような次第。
2019年7月7日の遭遇種
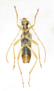
・ヒスイヒメハナ P.tsutsuii(喉の黒い型、黄褐色の型 双方混在)
・ハクサンヒメハナ P.obscurior hakusana
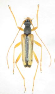
・アサマヒメハナ P.trilineata
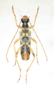
・ハクバヒメハナ P.pallidicolor
・オオヒメハナ P.grallatrix
・ムネアカヨコモンヒメハナ P.masakii
・ミワヒメハナ P.miwai
・フタオビノミハナ P.puziloi
・チャイロヒメハナ P.aegrota
