長野県栄村苗場山 alt.1,300~1,600m 21.ⅶ.2008
スキーで有名な日本百名山・苗場山の、長野県側からの初めての挑戦がこの日であった。前泊地の飯山から飯山線に沿って奥へと進み入り、津南の街より右折・南下して至るのが秋山郷と呼ばれる秘境エリアである。ここの小赤沢集落から一気に山腹を駆け上がり、三合目の登山口駐車場を目指したが、駐車場手前のオニシモツケやヤマブキショウマの花からさっそくピドニアの姿が見られ始め、一気に気分も盛り上がってくる。
駐車場に車を置き、花を求めてひたすら登山道を登る。この日は朝から気温が高く、湿気が多く足場の悪い登山道をお昼近くまでかけて採集しつつ登るが、とあるガレ場風の一画でクロフトヒラタコメツキの巣窟を発見したのを機に昼食休憩とし、その後はゆっくりと下山を始めることに。と言うのも、幸いここまでのミズキやナナカマド、ヤグルマソウなどの花で、主目的のシラネヒメハナ&クロヨコモンヒメハナとの面会が叶っていたからであり、でなければさすがにもうちょっと上まで頑張って登っていたであろうと思う。


あわよくば!と思っていた山頂台地の高層湿原には全く届かなかったが、とは言え3時間ほどの登り行程でひとまず狙い目のピドニアに遭遇することが出来ていたので、私達的にはこれで十分気分よくこの場を後にすることが出来たのであった。
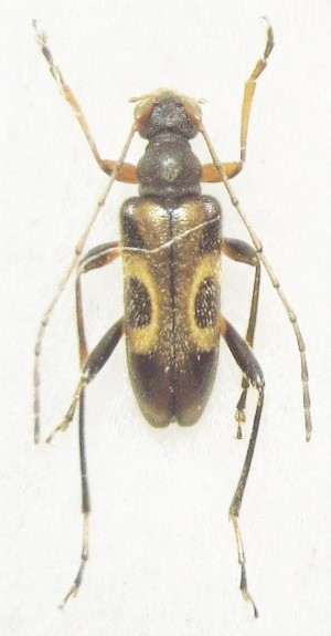
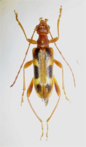
2008年7月21日の遭遇種
・シラネヒメハナ P. obscurior(頭部~前胸部が赤みを帯びるタイプ)
・シンシュウヒメハナ P.hayakawai(もしくはその近似種)
・マツシタヒメハナ P.matsushitai
・アサマヒメハナ P.trilineata (旧P.takechii )
・ヨコモンヒメハナ P.insuturata
・クロヨコモンヒメハナ P.hayashii

・ムネアカヨコモンヒメハナ P.masakii
・ミワヒメハナ P.miwai
・オヤマヒメハナ P.oyamae
・ニセフタオビノミハナ P.testacea
※3年後の20011年7月17日に再訪した際遭遇できた追加種
・ブービエヒメハナ P.bouvieri
・ニッコウヒメハナ P.limbaticollis
・オオヒメハナ P.grallatrix
・セスジヒメハナ P.amentata
・チャイロヒメハナ P.aegrota(目撃)
