群馬県利根郡みなかみ町坤六峠 alt.1,200~1,600m 15.ⅶ.2021
嘗てネキの豊産で知られた武尊山(ほたかやま=日本百名山)の裏側(北東)に位置するこの峠に初めて出向いたのは2004年7月のことであった。この時は鎌田~戸倉経由での片品村側からのアタックであったが、折しもヤマブキショウマの開花最盛期に当たり、多数のシラネヒメハナに遭遇してご満悦で帰還したように記憶している。
それから17年の年月を経て、久しぶりのかの地への訪問は反対のみなかみ町側から。湯檜曽にて国道を離れ、藤原湖~湯ノ小屋温泉経由で更に奥へと進むうちに、やがて照葉峡と呼ばれる一帯を通過する。小雨模様の中、この辺りから時折目にするヤマブキショウマを掬いつつ前進するが、ほどなく峠が近づいてきた頃には雨も上がって薄日も射し始め、期待通り周辺のミズキやゴトウヅルなどの花から次々にピドニアがネットインする。この日、僅かな時間枠ではあったものの、幸いにもかようにピドニアの活動に好適な環境下での採集調査を楽しむことができたような次第。
ちなみに、この日遭遇したピドニアはほぼこの地・この時季のピドニア相を表現しているものと思われるが、その一方で、いて当然と思われるオオ、ブービエ、キベリクロなどPseudopidonia亜属の幾つかの種が見られない(?)のは、果たしてどうしたものであろうか・・・!?
2021年7月15日の遭遇種
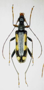
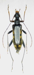
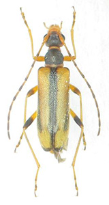
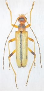
・ナガバヒメハナ P.signifera
・シラネヒメハナ P.obscurior
・ヤノヒメハナ系sp. P.chairo系sp.(BB有り)
・マツシタヒメハナ P. matsushitai
・アサマヒメハナ P.trilineata
・セスジヒメハナ P.amentata
・ニセヨコモンヒメハナ P.kaguyahime
・ムネアカヨコモンヒメハナ P. masakii
・ヨコモンヒメハナ P. insuturata
・ミワヒメハナ P. miwai
・フタオビヒメハナ P. puziloi
・ニセフタオビヒメハナ P.testacea
・チャイロヒメハナ P. aegrota
当日以外の訪問の際に確認できた種
・オヤマヒメハナ P. oyamae
