長野県北佐久郡軽井沢町矢ヶ崎山 alt.1,000m 15. ⅵ. 1980
少々お恥ずかしい話ではあるが、古き良き思い出として、敢えてご披露申し上げたいと思う。
この日、H氏と乗車する電車を決め上野駅で待ち合わせをしていた私は、当日の朝、氏からの突然の電話で叩き起こされることになる(当時携帯電話はない)。何と!時計を見たらすでに待ち合わせの時間を過ぎているのに、何故か私は布団の中・・・!これはヤバックス!と上野駅に急行し、最初に来た特急列車(当時新幹線はない)に飛び乗ってH氏を追いかけたのだが、むろん軽井沢駅に着いたのは予定時刻から大幅に遅れた、すでにお昼に近い時間帯であった。
当時、まだ免許を持っていなかったH氏に対し、私はすでに取得していたこともあって、この日は二人でレンタカーを借りて浅間山界隈を徘徊しよう!との魂胆であったのだが、現実こうなってしまってはもはやレンタカーを借りる気力も失せ、取り急ぎタクシーに飛び乗り小瀬温泉方面に出向いてみるものの、期待したミズキの花付きはすこぶる悪く、ほとんど成果も上がらぬままに時間だけが経過してしまった。
浅間山遠景
このままでは帰れないと、やむなく駅から見える手近な矢ヶ崎山に登ったところ、幸いにもコゴメウツギがよく咲いていて、ピドニアを中心に春モノのカミキリがポツポツ入ったが、残念ながらこれ!と言った目ぼしい成果も得られぬままに、とうとうご帰還の時を迎えてしまった。
~~~~~~~~~~~~~~~~~~~~~~~~~~~~~~~~~~~~~~~~~~~~~
ところが神は私たちを見放すことはなかったのである。帰りの車中で、採集中からどうも変だと思っていたセスジヒメハナをよくよく眺めてみたら、当時記載されて間もなかったトサヒメハナが幾つか混じっているのを発見し、一気に元気を取り戻すことに(虫屋とは現金なモノです)。結果、私の採集品から2♂2♀を発掘し、残念ながらヌルだったH氏に今朝の一件を詫びつつ1♀謹呈して、この日の朝慌てて駆け込んだ上野駅にて波乱万丈の一日の幕引きとなったような次第。
1977年に記載されたトサヒメハナPidonia approximataは、記載当時は主に西南日本に分布する種と思われていたのだが、実はタイプ標本の中に1頭だけ関東(大菩薩)の標本が含まれていており、俄かに関東方面でのトサヒメハナ探しが注目を浴びているさ中での出来事だっただけに、これは嬉しい発見ではあったのだが、実はこの数年前に群馬県の霧積温泉(!)でもT氏により本種が獲られており、あれから40年を経た今でもこの記録が本種の北限記録となっている一方で、この日の軽井沢の記録は恐らくは長野県における最北の記録、且つ種としては霧積温泉に次ぐ二番目の北限記録を堅持しているではないかと思っている。
1980年6月15日の遭遇種(K:小瀬温泉方面、Y:矢ヶ崎山)
・ナガバヒメハナ P.signifera(K/Y)
・ヤノヒメハナ種群の一種 P.sp.(K/Y)・・・H紋を欠く後胸腹板明色タイプ
・キベリクロヒメハナ P.discoidalis(Y)
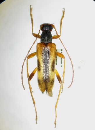
・オオヒメハナ P.grallatrix(Y)
・ニセヨコモンヒメハナ P.simillima(K/Y)
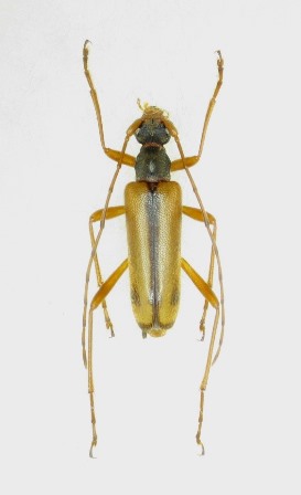
・トサヒメハナ P.approximata(Y)
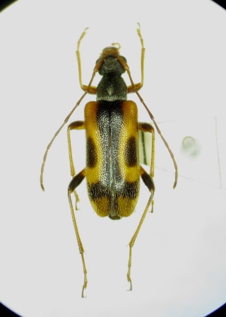
・セスジヒメハナ P.amentata(K/Y)
・チャイロヒメハナ P.aegrota(K/Y)
・フタオビヒメハナ P.puziloi(K/Y)
