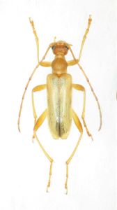
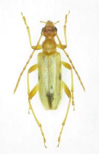
長野県飯山市伏野峠 alt.800~1,000m 6.ⅶ.2019
長野県北部、志賀高原を含む大きな山塊の北方に位置し、その稜線が長野と新潟の県境を形作る関田山塊へは、かねてより是非一度訪れてみたいと考えていた。幸いにも2019年度のピドニア懇談会合宿採集会の宿泊地が長野市郊外の松代温泉に決まったことで、この機を利用して晴れて彼の地への初挑戦が叶うこととなった。
同行のT氏とは東京駅で待ち合わせをし、長野駅でレンタカーに乗り換え、かの地を目指す。関田山塊は、最高峰・鍋倉山(1,289m)を中心とした北東から南西に伸びる小さな山脈で、その北側には高田平野が広がるだけで、冬の季節風をまともに受けてしまう。千曲川に沿って走るJR飯山線沿線は、国内屈指の豪雪地帯として広く認知されているが、そんな厳しい環境下の山塊には果たしてどんなピドニアが棲息しているのだろうか!?実に楽しみである。
山塊を超える車道はいくつか確認できるが、今回は敢えて最も標高の高い関田峠を避け、人通りが少なそうな伏野峠(ぶすのとうげ)を目指すことにした。幸いにも読み通り車の往来は少なく、採集には申し分のない条件である。中腹より上に咲いていたミズキやタニウツギの花から次々とピドニアがネットに入るが、ハクバヒメハナは予想通りいてくれたものの、期待のハクサンヒメハナにはとうとう最後まで遭遇できずじまい。残念ながらこの山塊には分布していなさそうだ。
かくして、夕刻には各地で三々五々ネットを振ってこられた参加者各位と松代温泉で合流し、再会の喜びと虫談議の花咲く合宿採集会の夜は更けていくのであった。
2019年7月6日の遭遇種
・ヒスイヒメハナ P.tsutsuii
・アサマヒメハナ P.trilineata(=旧takechii)
・ブービエヒメハナ P.bouvieri
・ハクバヒメハナ P.pallidicolor
・ムネアカヨコモンヒメハナ P.masakii
・セスジヒメハナ種群の一種 P.amentata系sp.(仮称ウラセスジ~モリセスジ)
・ミワヒメハナ P.miwai
・フタオビノミハナ P.puziloi
・チャイロヒメハナ P.aegrota
