新潟県糸魚川市蓮華温泉 alt.1,100~1,500m 19.ⅶ.2003
ピドニア採り歩き(19)の安房峠採集行から続くピドコメツアー2003の一環。
白馬村に前泊した私たちは満を持して蓮華温泉を目指すも、あいにくこの日は朝から雨模様で、途中立ち寄ったコンビニでは昼食と共に雨合羽まで購入する始末。このツアー中、最も期待を寄せていた採集地だけに、雨中決戦を覚悟してのせめてもの心意気である。
平岩から蓮華温泉に至る車道をひた走る途中、豊かな森に囲まれた白池周辺に咲くオニシモツケから待望のハクバヒメハナと初遭遇。ヒワ平からの急坂を登り切った先は、車道の両サイドを満開のミズキが出迎えてくれ、これを掬いながら歩を進めると、ハクサンヒメハナを始めとする各種ピドニアが次々とネットに入る。その一方で、ハクバ・アサマ・ムネアカヨコモン・チャイロの4種が走り回るネット内は薄黄褐色一色で埋め尽くされ、選別作業は多忙を極める(笑)。
期待を胸に臨んだ待望の初挑戦は、雨が降ったり止んだりのあいにくの一日であったが、返ってこれがピドニア採集には好都合だったのか、この日は数々のピドニアに加え、マヤサンコブやミヤマチビコブなどのオマケも付いて十分楽しめた一日となった(むろんこんな天気故、コメツキは惨敗だったけれど…)。それにしても、ネットを振りつつ眺めた雪倉岳~朝日岳の残雪姿が強く印象に残った初の蓮華温泉採集行は、私の記憶にも鮮明に残る記念すべき一日となった。

2003年7月19日の遭遇種
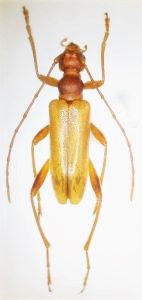
・ハクサンヒメハナ P.obscurior hakusana
・ホソガタヒメハナ P.semiobscura
・ヒスイヒメハナ P.tsutsuii
・ヤノヒメハナ種群の一種 P.chairo系 sp.(B~H紋を有するタイプ)
・オオバヤシヒメハナ P.limbaticollis ohbayashii
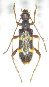
・ハクバヒメハナ P.pallidicolor

・アサマヒメハナ P.takechii
・ミセンヒメハナ P.misenina
・オオヒメハナ P.grallatrix
・ヨコモンヒメハナ P.insuturata
・ムネアカヨコモンヒメハナ P.masakii
・オヤマヒメハナ P.oyamae
・セスジヒメハナ種群の一種 P.amentata系sp.(仮称モリセスジヒメハナ)
・ミワヒメハナ P.miwai
・チャイロヒメハナ P.aegrota
・ニセフタオビノミハナ P.testacea(一見フタオビノミハナ風)
【追記】
2017年6月22日、より早い時季のピドニアを求めて再訪。あいにくヒワ平より上の車道は通行止めで奥には進めなかったが、白池周辺でこの時未確認の以下の3種を確認できたので付記しておきたい。
・ヤノヒメハナ系の一種 P.chairo系 sp.(H紋を欠くタイプ)
・キベリクロヒメハナ P.discoidalis
・ニセヨコモンヒメハナ P.kaguyahime(=元P.simillima)
