長野県木曽郡王滝村御嶽山 alt.1,600~2,150m 15~17.ⅶ.2004
広島のT氏から連絡をいただき、遠征で出向くので現地で逢えませんか?とのお誘いをいただいたのが、かの有名な木曽の御嶽山であった。再会を楽しみに5時間かけてたどり着いた八海山(標高1,600m地点)にて早々にカラフトホソコバネやニセハコネホソハナ、ミセンヒメハナなどに遭遇し、以降標高を上げながらこの年の花のポイントをチェックしつつ、終点の田ノ原(標高2,150m)を目指す。
その田ノ原駐車場で、いきなり山梨県在住で同郷のM氏と遭遇。その直後には待ち合わせしたT氏とも合流でき、お互い良く知る三人でしばし虫談議に花を咲かせる。聞けば両名ともこの日御嶽山を離れるそうで、ひとまず各自思い思いの場所で採集にいそしみつつ、最後に再度八海山で合流したところ、私の毒ビンに入っていたフイリヒメハナの黒化型雌個体に大きな刺激を受けたT氏は、何としてでもこれを採りたい!と下山予定時刻であったにも拘らず、再び標高差400mも上のポイントに向け、ひとり駆け登って行かれたのであった。
2泊の行程で臨んだこの時の御嶽山行、翌日はむろん終日をかけて、3日目も午前中までは地道に花のチェックを繰り返し、目的の亜高山性ピドニアをはじめとする、この山この時季ならではの面子にひと通り遭遇して、懐かしき虫友との再会をも楽しんだ採集行を無事終えたような次第。
2004年7月15~17日の遭遇種
(ヤマブキショウマ、ナナカマド、コバイケイソウ、チシマザサ、矮小ゴヨウマツ?などの花上)
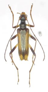
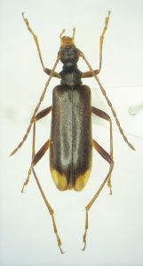
・ホソガタヒメハナ P.semiobscura
・シンシュウヒメハナ P.hayakawai
・ヤノヒメハナ種群の一種 P.chairo系 sp.(B紋が肩を覆わないタイプ)
・ウスモンヒメハナ P.pallida
・ミヤマヒメハナ P.sylvicola
・オオバヤシヒメハナ P.limbaticollis ohbayashii
・マツシタヒメハナ P.matsushitai
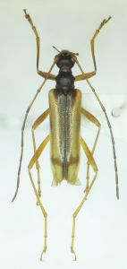
・フイリヒメハナ P.signata
・シナノヒメハナ P.suzukii
・ブービエヒメハナ P.bouvieri
・カクムネヒメハナ P.orientalis
・ミセンヒメハナ P.misenina
・オオヒメハナ P.grallatrix
・ヨコモンヒメハナ P.insuturata
・ムネアカヨコモンヒメハナ P.masakii
・オヤマヒメハナ P.oyamae
・チャイロヒメハナ P.aegrota
・ニセフタオビノミハナ P.testacea
