長野県南佐久郡八千穂村八千穂高原 alt.1,600~1,700m 18. ⅶ. 2001
私ごとではあるが、学生時代の1970年代後半は南西諸島や北海道等、遠方にばかり目が向いていた時代。1980年代は、就職~結婚~第一子誕生~第二子誕生…と目まぐるしく動く環境変化に採集どころではなくなった虫屋返上の10年間。更にその後の1990年代は、社命による高松への転勤で、四国の虫達との再会を楽しんでいた時代。こうして2000年代に入り、やっと落ち着いて本州中部エリアの虫達と戯れることができるようになり、かねてより思い描いていたピドニアを軸とした採集行が年中行事として繰り返されることになる。
学生時代に足を運んだ中で、ピドニアでも名の知れた採集地と言えば奥日光と大菩薩嶺くらいのもので、お蔭?で日本アルプスを筆頭に、まだまだ山塊として出掛けたことのないエリアがたくさん残っていた。そこで白羽の矢を立てたのが、これまで後回しにされ続けていた未知なる八ヶ岳山塊。

転勤帰りの2000年から始めた、通称「ピドコメツアー」(ピドニアとコメツキを目的主体とするミニツアー)第二弾は、まさにこのエリアの調査に軸足を置いた採集行であり、麦草峠を始めとする北八ヶ岳方面への初挑戦となったのであるが、2001年7月18日のツアー初日はあいにくの天候の中での出発となり、やむなくかの地までの途中エリアで採集を試みながら前進したものの、どのエリアでも雨が降り止むことは無く、何の成果もないままに辿り着いた八千穂高原の一角で、やっと幾ばくかのピドニアを摘まむことができたような次第。

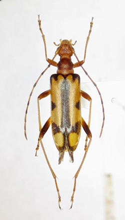
結局この日はここに軸足を置くことに決め、初めて遭遇する八ヶ岳山塊のピドニアを嬉々として採集していたところ、突然目の前に得体の知れない大型のピドニアが姿を現した。これだけ派手な大きさと斑紋を有するピドニアなのに、一瞬それが何だか分からなかったこの個体、実はニッコウヒメハナ(P.limbaticollis)の頭部~前胸背の赤色化が顕著な個体で、それと気づくのに幾ばくかの時間を要してしまうほど馴染のない個体であった。
後日、この辺り一帯の本種は全てこの特徴を備えていることを知るのだが、それにしても当時の私にとっては、まさにぎょっとする出来事であったことだけは間違いなかった。

余談ながら、私にとって1980~1990年代の本州中部エリア空白の20年間に、以前は一種と見做されていたカクムネヒメハナ(嘗てのP.maculithorax)が5種に分化され、同様にヒメハナ(嘗てのP.mutata)も複数種に分かれる等、同時進行でそれを認識できていなかった私には、各地で次々に遭遇する彼らを見分けるのに相当な困難を伴ない、とりわけ後者に関しては、未だにいったい何種含まれているのか!?悩まされ続けているのである…。
2001年7月18日 の遭遇種
・ホソガタヒメハナ P.semiobscura
・ニッコウヒメハナ P.limbaticollis
・カクムネヒメハナ P.orientalis
・ブービエヒメハナ P.bouvieri
・ツマグロヒメハナ P.maculithorax
・オオヒメハナ P.grallatrix
・ヨコモンヒメハナ P.insuturata
・ムネアカヨコモンヒメハナ P.masakii
・オヤマヒメハナ P.oyamae
・チャイロヒメハナ P.aegrota
・ニセフタオビヒメハナ P.testacea
