栃木県日光市奥日光(半月山・裏男体・金精峠) alt.1,400~1,850m 2.ⅶ.2004
奥日光と言えば日本屈指の有名観光地であるとともに、豊かな自然に囲まれた日本屈指の好採集地でもある。ご承知の通りこの地のファウナは古くより精査されていて、多くの文献にその全貌が紹介されている。
私自身、学生時代より何度となくかの地を訪れる機会を得たが、その多くが7月半ばから8月初旬にかけての季節で、つまるところ夏モノ中心の採集行であったことは否めない。ピドニアの好季は一般的にはそれよりやや早い時季とされており、晴れてその最盛期のピドニア調査を実現できたのが、この2004年であった。

当日訪れたのは、まず中禅寺湖南岸にそびえる半月山(1,753m)。個人的にここは未知の領域だったが、山頂直下まで立派な車道が伸びていて、思いのほか楽なコースであった。期待した花は少なかったものの、ここでの当面のターゲットであるシラネヒメハナを確認できたことで、次なる裏男体林道に急ぎ転戦し、この時季満開のニシキウツギとゴトウヅルの花から奥日光らしい各種ピドニアを満喫した。最後は国道に戻り更に標高を稼ぎつつ群馬県境を目指し、湯元から金精峠までの間に咲くヤマブキショウマからもシラネヒメハナと黒味の強いアサマヒメハナを追加して栃木県での調査は終了、その後も引き続きトンネル先の群馬県へと行脚は続いたのである。

余談ながら、この地のシラネヒメハナ♂の中・後肢腿節は基本的に黒ずむことはないのだが、駆け出し時代に日光山塊産でピドニアを学んだ身としてはそれが当たり前であったにも関わらず、本種群全体を見まわした場合、むしろそれが少数派であることを後に知ることとなった。こうした思わぬ地域変異の妙が私の虫屋感性を大いに刺激し、今日に至るピドニア道へと誘ってくれたのであった。
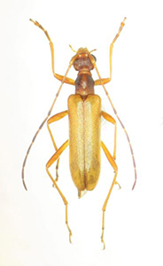
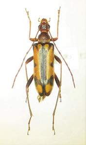
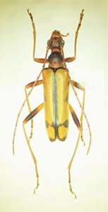
2004年7月2日の遭遇種
・ホソガタヒメハナ P.semiobscura
・シラネヒメハナ P.obscurior
・シンシュウヒメハナ P.hayakawai(もしくはその近似種)
・ウスモンヒメハナ P.pallida
・マツシタヒメハナ P.matsushitai
・ニッコウヒメハナ P.limbaticollis
・ブービエヒメハナ P.bouvieri
・アサマヒメハナ P.takechii
・キベリクロヒメハナ P.discoidalis
・オオヒメハナ P.grallatrix
・ヨコモンヒメハナ P.insuturata
・ムネアカヨコモンヒメハナ P.masakii
・オヤマヒメハナ P.oyamae
・チャイロヒメハナ P.aegrota
・ニセフタオビヒメハナ P.testacea
・フタオビヒメハナ P.puziloi
