富山県富山市有峰 alt.1,100~1,450m 21.ⅵ.2019
首都圏から見ると丁度北アルプスの真裏に隠れるように位置する有峰湖周辺アリア、嘗ては行きたくても遠すぎてなかなか出向くことのできない夢の地であったが、今や開通した新幹線を利用することで、その気になれば日帰りさえできてしまうフィールドになってしまった。
この日ついに念願叶ってかの地を訪れる機会を得たが、当日はピドニア懇談会メンバーの富山市在住S氏のご厚意でポイントを順次ご案内いただけることとなった。お陰さまで何本もの林道が複雑に交差する広大なかの地をスムーズ且つ効率的に移動することができ、道先不案内の初見参者にとっては実に嬉しくもありがたい成果を積み重ねることができたのであった。
梅雨のさ中さにありながらも好天に恵まれたこの日の開花植物は、ミズキを軸に、タニウツギ、ヤブデマリ、ナナカマド等が見られ、午前中はこれらの花掬いに没頭、期待を裏切らない多種多様なピドニアを満喫できたが、前胸背が真っ赤で上翅が真っ黒な雌個体の混じるキベリクロヒメハナや西日本の色彩香るイヨヒメハナなどは、以前訪れた岐阜県大白川に通ずるものを感じることができたような次第。唯一残念だったのは、最大目標であったハクサンヒメハナが時期尚早でお顔を拝見できなかったこと。これだけは実に残念であった。
ピドニア以外では、ブナの立ち枯れでオオホソコバネやクロホソキコメツキが獲られたり、ミズキの花からもフタキボシカネ、クロサワツヤケシ、ミヤマタテスジ等、珍しいコメツキがネットインしたりで非常に楽しい採集が堪能でき、たいへん貴重で有意義な一日を過ごさせていただくことができた。末筆ながら、ご案内いただいたS氏に深く感謝申し上げたい。
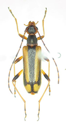
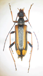
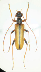
2019年6月21日の遭遇種
・ナガバヒメハナ P.signifera
・ヤノヒメハナ P.chairo系の一種A(H紋を欠くタイプ)
・ヤノヒメハナ P.chairo系の一種B(B~H紋の繋がるタイプ)
・マツシタヒメハナ P.matsushitai
・ミセンヒメハナ P.misenina
・アサマヒメハナ P.takechii
・キベリクロヒメハナ P.discoidalis
・オオヒメハナ P.grallatrix
・セスジヒメハナ P.amentata
・ヨコモンヒメハナ P.insuturata
・ニセヨコモンヒメハナ P.simillima
・ムネアカヨコモンヒメハナ P.masakii
・イヨヒメハナ P.hylophila
・ミワヒメハナ P.miwai
・チャイロヒメハナ P.aegrota
・フタオビチビハナ P.puziloi
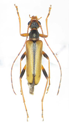
余談ながら、この日遭遇できなかったハクサンヒメハナを狙い、一か月後の7月下旬に再度かの地を訪れリベンジを果たしたことを付記しておきたい。
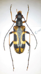
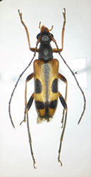
2019年7月24日の遭遇種(上記以外の追加種)
・ハクサンヒメハナ P.obscurior hakusana
・ミヤマヒメハナ P.sylvicola
・オオバヤシヒメハナ P.limbaticollis ohbayashii
