長野県上伊那郡長谷村 南アルプス藪沢 alt.2,000~2,300m 28.ⅶ.2002
高松転勤から戻って数年が経ったこの年、山梨のM氏から南ア行のお誘いをいただいた。何と、通行許可が取れたので、北沢峠まで車で入れる!とのこと。いつかは行かねば、と常々思っていただけに、こんなチャンスは二度と来ないぞ!と二つ返事でお誘いに飛びつく。
当日早朝、一年限定で東京に転勤されていた広島のT氏共々M氏の車に便乗し、夜叉神峠~広河原経由で実に一歩も歩くことなく北沢峠に至る。果たしてこんなに楽に到達出来ていいのだろうか!?との思いもありはしたが、とにもかくにも一旦大平小屋まで下り、胸を躍らせながら待望の藪沢ルートに突入。
しばらくは暗い森の中を進むが、思いのほか花は少なく、たまに見つかるオニシモツケでもオヤマヒメハナやニセフタオビヒメハナが見られる程度だ。やがて目立たぬイチゴ類の花を見つけ、運よくこれにきていたシナノヒメハナを摘まむ(初ゲットなので素直に嬉しい)。
右手に滝の音を聞きながら急坂をどんどん登ると、やっと樹林帯を抜け、小さな沢に沿った素敵なお花畑に到着した。ここを拠点と定め、腰を据えて辺りをしばし散策するが、結局藪沢ルートでの成果のほとんどはこの界隈のもので、この先の特保エリアには一切足を踏み入れることなく、昼食後には次なる目的地(広河原)を目指して下山を開始。途中、道脇の葉上に静止していたシナノヒメハナの♀を発見してほくそ笑む。
※当日の現場写真が無いので、某雑誌に掲載されていた藪沢の散策拠点風景
一旦広河原まで下り、ここの周辺で最後の悪あがきに臨むと、キベリカタビロハナのkusamaiを筆頭に、フタコブルリハナ、チャイロヒメコブハナなどの人気種に加え、ピドニアも7種を確認することが出来、結局この日は藪沢+広河原で都合16種の南アルプス産ピドニアに遭遇することができたような次第。
帰宅後、Omphalodera亜属をじっくり眺めながら、種々議論されていたワルサワダケヒメハナとニセフタオビヒメハナが、互いに別種関係にあることをしっかり認識・確認できたのは幸いであった。
2002年7月28日の遭遇種
・シンシュウヒメハナ P.hayakawai
・ウスイロヒメハナ P.pallida
・ミヤマヒメハナ P.sylvicola
・ホソガタヒメハナ P.semiobscura
・オオバヤシヒメハナ P.limbaticollis ohbayashii
・ブービエヒメハナ P.bouvieri
・カクムネヒメハナ P.orientalis
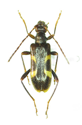
・シナノヒメハナ P.suzukii
・フイリヒメハナ P.signata
・ヨコモンヒメハナ P.insuturata
・ムネアカヨコモンヒメハナ P.masakii
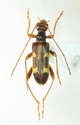
・ワルサワダケヒメハナ P.warusawadakensis
・ニセフタオビヒメビハナ P.testacea
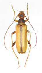
※♂藪沢産、♀乗鞍岳産(当日は♀に遭遇できず)
(以下は広河原でのみ遭遇できた種)
・ヤノヒメハナ P.chairo系の一種(B~H紋を欠くタイプ)
・マツシタヒメハナ P.matsushitai
・オヤマヒメハナ P.oyamae
