岐阜県大野郡白川村大白川 alt.1,250~1,350m 5.ⅶ.2008
ピドニアをやっていると、初めて出向く山塊での調査ほど胸高鳴るものはない。この白山山塊への調査行も私にとっては待望のエリアであり、期待に胸膨らませて臨んだ山行となった。
実は、かの地を訪れることが出来たのは愛知県のK氏のお声かけがあってのことで、自分ひとりでこの遠地にまで足を延ばすのは、道先の不案内もありさすがに躊躇されるが、そういった意味では背中を押していただき、当日ご同行いただいたK氏には感謝の言葉しかない。
かくしてそのK氏宅近くに前泊し、まさにこの日全線開通したばかりの東海北陸自動車道を経由してスムーズにかの地に入る。ご承知の通り白山山塊は国立公園特別保護地域が山麓にまで拡がっており、それゆえ今回も渓谷部や登山道等の特保ゾーンには入ることができないので、やむなくその手前の特保外エリアで調査を行うが、特保外とは言っても環境的にはそこそこ素晴らしいものがある。

好天に恵まれたこの日の開花植物はミズキとゴトウヅルで、午前中はこれらの花掬いに没頭したが、ピドニアについては思いのほか種類数・個体数共に多く、前胸背が真っ赤で上翅が真っ黒な♀個体の混じるキベリクロヒメハナや、予想外のイヨヒメハナなど、初めて訪れる山塊での東西混交状態のピドニア相をたっぷり堪能させていただくことができた。

虫の飛来が減ってきたお昼からは、K氏を追って林内で他のカミキリや各種甲虫類も探してみたが、クロサワツヤケシやクロホソキなどのコメツキ類に加え、帰宅後文献を調べてその存在を知った分布東限のシコクヒメコブハナが、その意外性故にちょっぴり嬉しく思ったような次第。
2008年7月5日の遭遇種
・ナガバヒメハナ P.signifera
・ヤノヒメハナ P.chairo系の一種A(B紋発達タイプ)
・ヤノヒメハナ P.chairo系の一種B(B紋未発達タイプ)
・マツシタヒメハナ P.matsushitai
・ミセンヒメハナ P.misenina
・ツマグロヒメハナ P.maculithorax
・アサマヒメハナ P.takechii
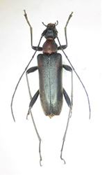
・キベリクロヒメハナ P.discoidalis
・オオヒメハナ P.grallatrix
・セスジヒメハナ P.amentata
・ニセヨコモンヒメハナ P.simillima
・ムネアカヨコモンヒメハナ P.masakii
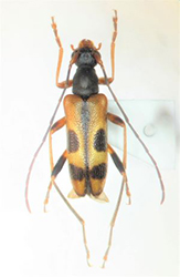
・イヨヒメハナ P.hylophila
・ミワヒメハナ P.miwai
・チャイロヒメハナ P.aegrota
・フタオビチビハナ P.puziloi
