福島県南会津郡下郷町甲子峠 alt.1,000~1,300m 12.ⅵ.2016
2016年度の「ピドニア懇談会合宿採集会」は福島県下で開催された。当日東京駅からご一緒したT氏と共に新白河駅でレンタカーに乗り換えた私たちは、気の赴くままに南~中会津界隈を転戦し、集合場所の湯野上温泉に投宿。そして翌日、嘗て永らく独立種として認知されていたナガヤマヒメハナP.nagayamaiの原記載地として知られる表記エリアに足を踏み入れることになる。かねてより一度は行ってみたいと思っていた場所だけに、T氏共々初めての訪問に胸を躍らせる。
幸いにも当日は気持ちの良い晴天に恵まれ、涼しい内に出来るだけ高いところまで足を延ばすべく歩を進めるが、この日朝一で挑戦した天栄村二岐温泉御鍋林道があまりにひどかったので、まさにリベンジの心境である。
やがてところどころにニシキウツギの花が登場し始め、これを掬いながら前進するが、暫くはホソガタヒメハナばかりで、期待のシラネ系は全く入ってくれない。
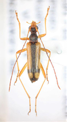
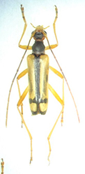
嘗て別種にされていたことがあるくらいなのでことさら注意深くチェックしていると、やがて標高1,200mあたりからシラネ系と思しき個体が混じるようになった。ただ、はっきりそれと分かるものから、現地ではどちらに属するのか判然としないような個体も混じり、やはり一筋縄ではいかないエリアのようだ。その後もホソガタ~シラネ系については多様なバリエーションを堪能(困惑?)しつつ、もちろんそれ以外のピドニアも相応にネットインして、最終的にこの日は12種のピドニアを確認することができた。
一泊二日の行程と、この日も二か所を転戦したこと、しかも最後の採集地は長い登りの歩きであったことを鑑み、早めの14時には採集を切り上げたが、後日改めて採集品を眺めてみても、やはり一筋縄ではいかないエリアであることを再認識させられたような次第。
2016年6月12日の遭遇種
・ナガバヒメハナ P.signifera
・ヤノヒメハナ P.chairo系の一種(H紋無し)
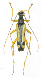
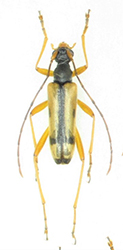
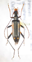
・シラネヒメハナ P.obscurior(♂S紋と♀脚色の変異)
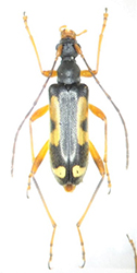
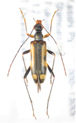
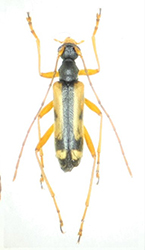
・ホソガタヒメハナ P.semiobscura(♂S紋と♀上翅紋の変異)
・マツシタヒメハナ P.matsushitai
・ブービエヒメハナ P.bouvieri
・オオヒメハナ P.grallatrix
・セスジヒメハナ P.amentata
・ヨコモンヒメハナ P.insuturata
・ニセヨコモンヒメハナ P.simillima
・ミワヒメハナ P.miwai
・フタオビチビハナ P.puziloi
