愛知県北設楽郡設楽町面ノ木峠 alt.1,000~1,100m 8.ⅵ.2019
去る6月上旬の週末に遠路はるばる愛知県の面ノ木峠まで出かけてきた(往復660キロ)。4年前にも同じ行程で出かけた経験があるのだが、その時は濃霧・強風・低温の三重苦でほとんど成果と言えるものなく終わっていたので、今回はリベンジを目しての再挑戦である。
かくして、またまた新東名をほぼ端から端まで走りぬき、4時間かけてたどり着いた峠界隈はやっぱり霧の中。下界では青空も見えていたのに、何ともこの峠界隈は天気を合わすのが難しい。
それでも気温だけはさほど低くなく、霧と風はあるにしても、風下の花を探せば何とかなる感じ。幸い山上に近づくとカマツカやミズキがちらほら目に付くようになり、これを掬いながら地元K氏との待ち合わせ時間まで匍匐前進。
期待した通り風下では虫の動きが活発で、まさにピドニアにはうってつけの条件と思えた(但し、他の良い虫は一切入らないが)。晴れた暑い日だと朝夕の限られた時間帯しか姿を見せない彼らが、こんな天気故一日を通してだらだらと登場してくれるのがありがたく、タイムリミットまでじっくりと調査を続けることができた。
久々にご一緒したK氏にお別れの挨拶をと辺りを見渡すもなかなか見つからず、きっと森の奥深くにまで潜り込まれたのだろうと、御礼メールを送って山を下りたような次第。
帰宅後調べた文献によれば、三河高原で採れているピドニアは13種で、残念ながらツマグロとムネアカヨコモンの2種には出逢えなかったが、期待していたヤマト、トウカイ、トサなどはそこそこ数も獲られ、前回のリベンジを十分に果たすことができたのは幸いであった。
2019年6月8日の遭遇種
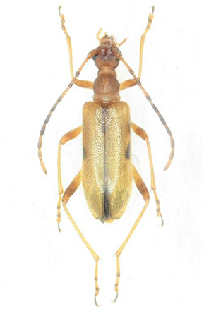
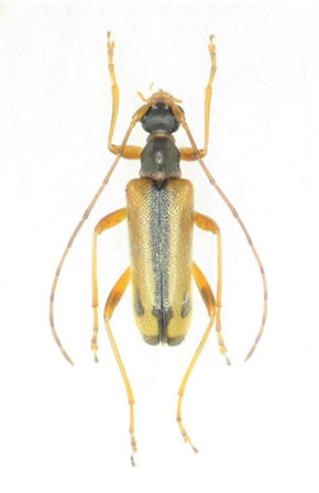
・ヤマトヒメハナ P.yamato
・ナガバヒメハナ P.signifera
・ヤノヒメハナ系の一種 P.chairo系(H紋無し)
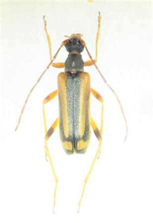
・トウカイヒメハナ P.tsuyukii
・キベリクロヒメハナ P.discoidalis
・オオヒメハナ P.grallatrix
・セスジヒメハナ P.amentata
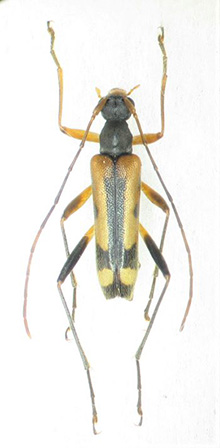
・トサヒメハナ P.approximata
・ニセヨコモンヒメハナ P.simillima
・チャイロヒメハナ P.aegrota
・フタオビチビハナ P.puziloi
