徳島県一宇村・東祖谷山村・木屋平村剣山 alt.1,450~1,800m 13-14.ⅶ.1996
1992年から7年半にわたり赴任した高松在住中に、ピドニア研究家の窪木幹夫氏から連絡をいただいた。曰く、今度四国に出向くので、是非剣山を案内していただきたい、と。かくして、待ち合わせの1996年7月13日早朝、高松駅で落ち合った両名は一路剣山を目指して南下した。
一方、窪木氏来訪の報を聞いた岡山勢三名(山地氏、渡辺氏、分島氏)も瀬戸大橋経由で剣山を目指し、両者は現地・夫婦池で待ち合わせをし、無事合流した。早速メンバーは辺りに咲いていたゴトウヅル、クロヅル、サルナシ等の花を掬いながら、マホロバヒメハナ、シコクヒメハナ、(当時の)ヒメハナ等各種ピドニアのほか、アカイロニセハムシハナ、ヘリグロホソハナなどを採集しつつ、次なる剣山を目指す。


時間短縮のため、まずは見ノ越から登山リフトで一気に西島駅(標高1,710m)まで足を延ばし、最初にご案内した一の森方面ではゴトウヅル、ヤマブキショウマ、ヤマアジサイ、テツカエデ等の花からチュウジョウヒメハナ、マホロバヒメハナ等を追加、更に大剣神社方面でもヤブウツギやミヤマモミジイチゴの花からブロイニングヒメハナ、イシヅチヒメハナ等の大型種を追加して、この日は毎度お世話になっている見ノ越の剣神社に投宿。その夜、当日のピドニア成果のほとんどを窪木氏に謹呈する。

翌14日は二手に分かれ、概ね前日同様のエリアを廻って四国産ピドニアを追加採集したが、前日に引き続きその採集品の大半は窪木氏に謹呈。当日は、更に広島から参戦の豊嶋氏や、地元・徳島の滑田氏にも遭遇し、実に賑やかで楽しい採集行となったような次第。
余談ながら、この14日に窪木氏ご自身により夫婦池で採集された(当時の)ヒメハナ個体が、翌1997年に記載されたサイゴクヒメハナのホロタイプとなり、さらに前日13日に一の森方面で採集した(当時の)フタオビチビハナが、その後22年の歳月を経てアワヒメハナのタイプ標本となったような次第。
かくして、多くのカミキリ屋さんを巻き込んでの四国版ピドニア合宿採集会(窪木氏としては四国産ピドニア、特にヤノヒメハナ系に関する重要な研究目的の採集行)もつつがなく終了し、窪木氏もこの時季の四国産ピドニアの実情や生息環境をしっかりご自身の目で確認され、目的概ね満願成就にて無事帰還された。
1996年7月13~14日の遭遇種
・ナガバヒメハナ P.signifera
・マホロバヒメハナ P.leucanthophila
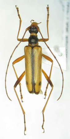
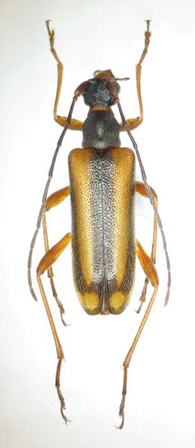
・サイゴクヒメハナ P.falcata (写真:共に剣山産)
・イシヅチヒメハナ P.shikokensis
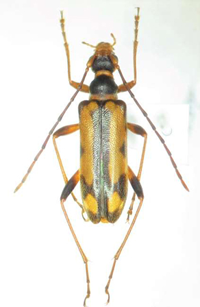
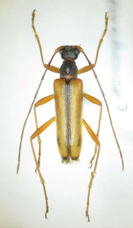
・ブロイニングヒメハナ P.limbaticollis stephani (写真:共に剣山産)
・シコクヒメハナ P.mutata
・オオヒメハナ P.grallatrix
・イヨヒメハナ P.hylophila
・ニセヨコモンヒメハナ P.simillima
・チュウジョウヒメハナ P.chujoi
・チャイロヒメハナ P.aegrota
・アワヒメハナ P.ogasawarai
